*** START OF THE PROJECT GUTENBERG EBOOK 40662 ***

[Pg i]

SALONA

FAIRFAX COUNTY
VIRGINIA

by
Ellen Anderson

Fairfax County Office of Comprehensive Planning

February 1979

[Pg ii]

Other Fairfax County Office of Comprehensive
Planning historical publications are available from:

Fairfax County Publications Center
Massey Building, First Floor
4100 Chain Bridge Road
Fairfax, Virginia 22030

Library of Congress Catalog Card Number 79-84335

[Pg iii]

 


CONTENTS


Illustrations v
Acknowledgments vii
Introduction 1
I.      Langley and the Lees 5
II.     Salona and the Maffitts 11
III.   Salona for Sale 25
IV.   Salona and the Smoots 28
V.    Salona and the DuVals 41
VI.   Salona: The House and Outbuildings 45
VII.  Preservation by Easement 53
Chapter Notes 55
Appendixes  
   A. Chain of Title, 1719-1974 71
   B. Maffitt Inventory, 1828 77
   C. Maffitt Slave Schedule 81
   D. DuVal Deed of Easement 84
List of Sources 95

[Pg iv]
[Pg v]

ILLUSTRATIONS


Salona location 2
Thomas Lee's 1719 grant, "Langley" 7
Advertisement, land later called "Salona" 9
The Reverend William Maffitt 13
William Maffitt, Jr. 25
The Reverend William Maffitt's tombstone 27
Civil War troops at Salona 29
McDowell's 1862 Civil War map 30
Wartime memorandum 32
Smoot family portraits 34
Jacob Gilliam Smoot and some family heirlooms 35
G. M. Hopkins Atlas map, 1879 36
The Salona Farm, 1890 and 1900 37
Rambler photo of Salona, 1914 38
Division of Smoot property, 1947 40
DuVal family portrait, 1957 42
Salona first and second floor plans 46
Salona attic floor plan 47
West wall 49
Entrance hall 49
Old stone house 50
Springhouse 50
Rear views of Salona mansion 51
[Pg vi]Smokehouse 51
Stone barn ruins 51
Outdoor kitchen 52
Old brick privy 52
Permanent and temporary easement plat 54

 


[Pg vii]

 

ACKNOWLEDGMENTS

Many people have helped materially with the story of Salona. Peter Maffitt, descendant of the Rev. William Maffitt, and Douglass and Henry Mackall, descendants of one of Maffitt's sisters, generously shared information on the Maffitt family and gave William Maffitt a three-dimensional shape. John D. K. Smoot, Jane Smoot Wilson and William Smoot, descendants of Jacob Smoot, recalled many stories of their family and of Salona. Clive and Susan DuVal, present owners of Salona, endured hours of interviews, photographing, and measuring of the house and outbuildings.

Valuable assistance has also been given by Mike Rierson, Fairfax County Park Authority, and W. Brown Morton, III, National Park Service, who contributed useful information on the architectural features and possible age of Salona; and William Elkjer measured and drew up floor plans of Salona. The Rev. William Sengel of the Old Presbyterian Meeting House, Jean Elliot, Frank Gapp, John Gott, Winslow Hatch, Beth Mitchell, and Donie Rieger also contributed information.

Librarians who have provided information and encouragement are Harva Sheeler, Dot de Wilde, and Eric Grundset, Virginia Room, Fairfax County Public Library; Mathilde Williams, Peabody Collection, Georgetown Public Library; the helpful staff at the Archives Division, Virginia State Library; and Ruth B. Lee, Historical Foundation of the Presbyterian and Reformed Church, Montreat, North Carolina.

[Pg viii]

 


[Pg 1]

Introduction

At the edge of the busy commercial area of the community of McLean, hidden from the heavy traffic on Dolley Madison Boulevard by a natural screen of trees and shrubs, stands the substantial brick dwelling known as Salona. Only a portion of the original 466 acres surrounds the house; the rest of the land has been converted into church properties, shopping centers, residential subdivisions, and other appurtenances of development.

Originally, the land was part of a large grant of 2,630 acres taken out by Thomas Lee in 1719 from the Northern Neck proprietor, and later named "Langley," a name which persists in the area to the present day.

The Reverend William Maffitt of Maryland purchased the 466-acre parcel in 1812, and he may have been the builder of the brick house at Salona to which President James Madison fled when the British burned the capital in August, 1814.

After the death of Maffitt, the property went through the hands of several northerners who were part of the influx of Yankees just prior to the outbreak of the Civil War. The parcel was divided into several pieces.

Jacob G. Smoot of Georgetown, D.C., purchased 208 acres, including the house, in 1853. He and his descendants owned Salona for almost 100 years—through the Civil War when Camp Griffin troops were temporary residents in tent villages on Salona and surrounding property and in the extended period of rebuilding during the agricultural era following. They witnessed and were part of the subdivision of lands for suburban tract housing.

[Pg 2]

Salona Location Map

[Pg 3]

As a reflection of changes experienced in the Washington metropolitan area following World War II, Clive DuVal, a veteran, came from New York to accept employment with the federal government. He and his wife Susan purchased Salona with the idea of restoring it and using it for a family residence.

The DuVals entered into a period of community participation which repeatedly involved the house as a center for meetings, tours and entertainment. Because it was a sound, comfortable, gracious old house with historical associations and community significance, they decided to grant a permanent historic and scenic easement to Fairfax County in 1971, preserving the house, its brick outbuildings and eight acres of land surrounding them in perpetuity. A temporary easement for 44 additional acres of the Salona property was granted at the same time, fitting in with the county's stated purpose to shape the character, direction and timing of community development through the preservation of open space land.

Because of its historical associations, the house was placed on the Virginia State Landmarks Register and on the National Register of Historic Places in 1973.

[Pg 4]

 


[Pg 5]

I
LANGLEY AND THE LEES

The brick house known as Salona stands solidly on a portion of the original grant known as "Langley," a tract named by Thomas Lee for ancestral Lee lands in Shropshire, England.

Thomas Lee was born in Westmoreland County, Virginia, in 1690, the fifth son of Richard Lee, II, a member of the King's Council and Naval Officer and Receiver of Customs for the Potomac. When Richard died in 1714, young Thomas succeeded his father as Naval Officer for the Potomac. Three years earlier, in 1711, he had been appointed resident agent along with his uncle, Edmund Jenings, for Lady Catherine Fairfax. She was proprietor of the Northern Neck grant of over 5,000,000 acres of land originally made by Charles II in exile to seven loyal followers, in 1649. She had become dissatisfied with the management of her agents Micajah Perry and Robert Carter. While his uncle was in England, Thomas Lee kept the books for the proprietary and visited most of the farflung Fairfax property. After his uncle returned to Virginia and took over the books, Lee used the knowledge gained from his work with the Fairfax estate to acquire grants of his own, among them, in 1719, the Langley tract of 2,862 acres on the Potomac River between Great Falls and Little Falls. Because of the strategic location of this tract, he hoped to benefit from the economic development of the western lands. While he never realized this dream, he did become president of the King's Council and, in 1749, acting governor of the Colony. [1]

After Thomas Lee's death in 1750, the Langley property went to his eldest son, Philip Ludwell Lee, who also was a member of the King's Council. A Royalist by preference he did not share the revolutionary enthusiasms of his younger brothers, Richard Henry Lee, and Francis Lightfoot Lee, signers of the Declaration of Independence. [Pg 6] Moreover, Philip Ludwell Lee, as administrator of his father's estate, was responsible for paying their legacies to the younger children. These legacies were never paid in full, an omission which further widened the gap between him and his siblings. [2] In the tradition of his father who had envisioned development of the upper Potomac, Philip Ludwell Lee established the Town of Philee on 100 acres at the Little Falls of the Potomac. Although he actually built warehouses there, the town was doomed to failure. [3]

Philip Ludwell Lee died in 1775, and the Langley tract was divided between his two daughters: Matilda, who married Henry (Light Horse Harry) Lee, and Flora, who married Ludwell Lee of Belmont in Loudoun County. Matilda inherited the portion on which Salona was built. If any buildings existed on the tract at that time, it seems probable that Matilda, as the elder daughter, would have been given the section on which they were located. [4]

By an ironic twist of fate, in 1782, Matilda Lee, daughter of die-hard Royalist Philip Ludwell Lee, married Henry Lee, a dashing young officer in the American forces, whose brilliant military exploits at Brandywine, Monmouth, and Paulus Hook (now Jersey City) won him the esteem of General George Washington, the soubriquet of "Light Horse Harry," and, in 1780, promotion to the rank of lieutenant-colonel.

"Harry" Lee was the son of Henry Lee of Leesylvania, in Prince William County, and Lucy Grymes Lee. His father was a member of the House of Burgesses for many years and when the war with England began, was in charge of recruiting and equipping troops for Washington's army. After serving as a delegate to the Continental Congress of 1785-88 and the Virginia Constitutional Convention of 1788, he was elected to the Virginia Legislature where he served until 1791. His wife, Matilda, died in 1790, leaving him a son, Henry. Matilda left the Langley tract to her son, with a life interest to her husband. [5]

[Pg 7]

Lee's 1719 Grant

Thomas Lee's 1719 grant, adjoining Turberville, showing the future 208-acre Smoot property at Salona.

 

[Pg 8]

To assuage his grief, Harry Lee plunged deeper into politics and in 1791 was elected Governor of Virginia. Two years later he married again, this time to Anne Hill Carter of Shirley. One of their sons was Robert E. Lee, later commander-in-chief of the Armies of the Confederacy. After a two-year term in Congress, Harry Lee's star began to wane. His attempt to establish a town, Matildaville, at the Great Falls of the Potomac, had failed, and his other land speculations had gone sour. Eventually he spent two years in debtor's prison in Westmoreland County, where he had once sat as a justice. In 1810, he moved his family to Alexandria, and in 1812, was given a permanent commission as a major-general in the United States Army, but his failing health made it impossible for him to take part in the war against England. He spent his last days in the West Indies, in a vain attempt to recover his health. He died in 1818. [6]

Harry's brother, Richard Bland Lee, did all he could to keep economic ruin from devastating the former war hero, but managed only to get himself deeper in debt. In 1808, during the period of financial disaster, Harry Lee and his son sold the Langley tract to Richard Bland Lee for $25,000. William Maffitt was a witness. [7]

No records or correspondence have yet appeared to indicate that any of the Lees built a dwelling on the Langley tract. Thomas Lee had the money, but architectural historians do not believe the house was constructed during his lifetime. Philip Ludwell Lee could have built on the tract, especially because of his town, Philee, on the Potomac, but again the house does not appear to be old enough to have been built during his lifetime.

Light Horse Harry Lee might have built the house when he was involved with the development of Matildaville; estimated dates for the construction range from 1790 to 1810. But after 1803 both Harry Lee and his brother Richard Bland Lee were facing financial difficulties and probably would not have built a large brick house on the Langley tract at that time.

During Richard Bland Lee's ownership of Langley, the land was rented to tenants. [8] A Lee descendant wrote in 1969 that "no Lee ever resided at 'Langley.' During the Lee tenure, 1719-1839, the place was always rented out." [9] So far, no listing of these tenants has been discovered. The only person mentioned as a tenant is J. C. Scott. [10] Scott has not been satisfactorily identified, although he may have been John Caile Scott, grandson of Alexander Scott, owner of Strawberry Vale. [11] He could have leased a portion of Langley and even built a house on the property. That this was customary in those days is shown by the terms of a lease agreement between Richard Bland Lee and Henson Lewis, which reveals that Lewis leased 130 acres of Lee's Cub Run tract on which he consented to pay taxes, plant and maintain an apple orchard, and construct a brick or stone framed dwelling at least 16 feet square and a brick or stone framed barn. This lease clearly indicates that a tenant on the Langley tract might have built Salona under the terms of a similar contract. [12]

[Pg 9]

Advertisement for Salona

Advertisement for Salona, Alexandria Gazette, November 18, 1811.

 

[Pg 10]

A bible entry cited by Melvin Steadman in his book on Falls Church reports that Thomas Sandford Wren "was born at Salona" on May 19, 1808, to Richard and Susannah (Adams) Wren. [13] According to Steadman, Thomas Wren is buried in the El Nido Cemetery, but all of the tombstones, with one exception, have been destroyed. [14] Because the name "Salona" appears on a legal document for the first time in 1823, the reported entry seems still more curious. It is possible that Salona may have been built or at least designed by one of the Wren family. Susannah Adams Wren, Richard's wife, was a descendant of the Adams family which had a mill adjacent to the Salona tract, another tie to the area.[15]

Fairfax County tax records provide no clue to a possible date of construction. In 1790, the Langley tract was carried on the rolls as the property of the Ludwell Lee heirs and was so listed for more than 20 years. Only two significant changes appeared: one in 1792 when more than 500 acres were sold, and again in 1811 after the sale of a 466-acre tract to Herbert. When William Maffitt first appeared on the tax rolls as a landowner in 1813, the 466-acre tract was assessed at $880 and his smaller tract at $79.[16]

William Herbert, who took over the 466 acres in payment of judgments against Richard Bland Lee, had no apparent intention of living on the property or of keeping it. A house must have existed on the property when he bought it because when he advertised the property for sale in the Alexandria Gazette in November 1811, the copy mentioned "a comfortable dwelling house, and out houses, a young thriving orchard of the choicest fruit, a good garden paled in, and a spring of fine water that has never been known to fail in the driest season, near the house." There is no indication that the acreage was under cultivation at that time.[17]

On March 10, 1812, the Reverend William Maffitt bought the 466-acre tract from William Herbert. It was probably Maffitt who named the estate "Salona."

[Pg 11]


II
SALONA AND THE MAFFITTS

The first occupant of record of the house at Salona, William Maffitt, is surrounded by legends. Supposedly, Maffitt built Salona in 1801. Maffitt was from South Carolina. Maffitt went to Princeton. Maffitt preached the funeral sermon for George Washington. Maffitt had a boys' school at Salona. Maffitt lived at Salona with his wife Harriotte Lee Turberville Maffitt, who deserted her three children by her first marriage. Dolley Madison spent the night with the Maffitts at Salona when she fled from the White House during the English invasion of Washington.

The available documents give a different picture.

William Maffitt was born in Cecil County, Maryland, in 1769, eldest son of Samuel and Ann Strawbridge Maffitt.[18] His father was a justice of the peace, elder in the Presbyterian Church, owner of a flourishing farm and a mill, and was a major under George Washington during the American Revolution.

The Rev. Mr. John H. Johns made his contribution to the Maffitt legends:

The Rev. William Maffit [sic] was a son of Samuel Maffit, an elder of this church. Having been licensed October 9th, 1794, by New Castle Presbytery, he went, April 1st, 1795, to Alexandria, Va., in Baltimore Presbytery. He had delicate health, and was pastor there for only a brief period, when he went to Salina [sic] six miles from Washington, and there became principal of a school, which he continued to teach for many years. He married twice, each time to a widow Lee, of the noted Lee family of Virginia. He died in 1828.[19]

[Pg 12]

Although many young men of Cecil County attended Princeton, the University does not have Maffitt recorded as a student, and his name does not appear in the official list of early Princeton graduates.[20] He probably attended some theological school because on October 9, 1794, the New Castle Presbytery appointed him to supply various New Castle Presbytery congregations.[21] At that time, he seems to have been teaching at the Wilmington Academy.[22]

On April 7, 1795, he was transferred to the Baltimore Presbytery, with residence in Alexandria.[23] On April 14, 1795, he was hired by the Alexandria Academy to teach Latin and English to 35 students for the sum of 200 pounds a year.[24]

In 1798, George Washington wrote regarding the education of Martha Washington's grandson, George Washington Parke Custis:

If he (Custis) was to go to Alexandria, his Studies must be conducted at the Academy or in his own chamber. The first, after coming from a large and celebrated College, he would consider as degrading, and in the other case (being left alone) he would attend very little to them while Mr. Moffet was discharging the trust reposed in him at the Academy.[25]

An Alexandria historian, Mary Powell, wrote that: "The school was attended by the best classes of Alexandria boys and able instruction was given in the classics, history, and elocution." She also observed: "The Rev. McWhirr and the Rev. Mr. Moffat were both Presbyterian clergymen who taught during the lifetime of General Washington. Mr. Leary succeeded Mr. Moffat ..."[26]

In 1801 the Alexandria Gazette reported that the trustees of the Alexandria Academy:

express their satisfaction at the progress of every branch taught in the academy ... reading and spelling; the accurate and extensive knowledge of English grammar and of the Latin classics, reflect the highest honor on the capacity and diligence of Mr. Maffitt, the teacher. [27]

[Pg 13]

Maffitt remained at the Academy until 1804 when he notified the board of trustees that he intended to "relinquish his situation as principal" on June 8. No hint of his future plans was given. [28]

At least as early as 1799, Maffitt became a member of Masonic Lodge 22 [29] and took "part in other community activities befitting a schoolmaster and minister. On December 24, 1799, the Alexandria Gazette reported:

Friday next being St. John's Day, Brother Maffitt, at the request of Lodges 22 and 47, will deliver a Charity Sermon at the Presbyterian Meeting house at which all the brethren are requested to attend. N.B. it is expected that every brother will appear with his badge of mourning—and those of Lodge 22 in full mourning. [30]

William Maffit Cameo

A physiognotrace of "William Maffett, chaplain."
Courtesy of Alexandria-Washington Lodge No. 22, A. F. & A. M., Alexandria, Virginia.

[Pg 14]

George Washington, a member of Lodge 22, had died on December 14, 1799, and the call was to a memorial service. Maffitt did not, as legend claims, preach the funeral sermon, although he did march with the clergy in the lodge's funeral procession from Alexandria to Mount Vernon to attend the ceremony.[31]

Earlier in 1799, the minutes of the General Assembly of the Presbyterian Church show that Rev. William Maffitt was assigned to Bladensburg.[32] There is no record of his actual presence there and he was not re-assigned.[33] For the rest of his life, his listings in the minutes show him "without charge." Although Maffitt was a licensed minister, there is some doubt that he was ever ordained.[34]

On January 14, 1800, the subscribers to the establishment of a Washington Society met at Gadsby's Tavern and William Maffitt was named to the committee to form the constitution and by-laws.[35] On January 28, Maffitt was appointed chaplain of the society,[36] a post which he held at least through 1803. On February 23, 1800, the society was called to meet at Gadsby's at 10 a.m. "to move in procession to the Presbyterian Meeting House where an oration will be delivered by the Rev. Mr. Maffitt, commemorative of the distinguished merits of the Illustrious Washington."[37] Again, on February 22, 1803, the Washington Society called on Maffitt to deliver a memorial sermon on the first president "at the Presbyterian Church at 12 o'clock. There will be instrumental and vocal music and the day will be announced by a discharge of 16 rounds from the Market Square."[38]

On February 18, 1801, the Rev. Mr. Maffitt was elected a director of the Alexandria Library Co., and was re-elected to this post in 1802, 1803, and 1804.[39]

On May 5, 1803, the Rev. Dr. Muir, pastor of the Presbyterian Meeting House, married the Rev. William Maffitt to Mrs. Harriotte Turberville.[40] Harriotte (or Henrietta) was the daughter of Richard Henry Lee, a brother of Philip Ludwell Lee, and his second wife, Anne Gaskins Pinckard, widow of Thomas Pinckard. Harriotte was born December 10, 1773 at Chantilly, the Richard Henry Lee estate in Westmoreland County.[41] Her siblings included a younger sister Sarah who married another cousin, Edmund Jennings Lee, and the youngest son, Francis Lightfoot Lee.[42] Her first marriage in December, 1794, was to Richard Lee Turberville, a cousin[Pg 15] and neighbor, who died in 1799,[43] leaving his widow with their three children: Cornelia, Richard, and George. Richard and Harriotte Turberville had settled at Chantilly in Fairfax County and Richard apparently died there.[44]

When Harriotte and William Maffitt were married, he was still principal of the Alexandria Academy, living in Alexandria, and active in community affairs. But between June 8, 1804, the date of Maffitt's resignation from the Academy, and early 1805, he moved to Chantilly with his wife, their first child, and the three children of Harriotte's first marriage. It is probable that the move took place in 1804, soon after his resignation.

Legal guardian of the three Turberville children was Thomas Lee, Harriotte's oldest brother.[45] After his death in 1805, William Maffitt was named guardian.[46] In this capacity he had to keep accurate accounts of his expenditures on behalf of the children and of income received on their property, all of which were matters of court record. These records indicate that Maffitt was living at Chantilly at that time.

William and Harriotte had two daughters, both christened in the Presbyterian Meeting House: Ann Lee, born March 23, 1804, and christened on April 20, and Harriotte, born March 16, 1805, and christened on April 17, 1805.[47] Harriotte died right after the birth of the second daughter, probably on April 11 or 12, 1805, because on April 12, Maffitt began paying rent to the three Turberville heirs for the use of their property. This was recorded for the first time in his accounts for 1805.[48]

That he had a school on the Chantilly estate seems highly probable, because starting in 1805, he charged the two Turberville boys for board and tuition, but not for transportation.[49] In 1805, Maffitt was listed for the first time on the Fairfax County personal property tax rolls.[50] In 1810, the county census listed him as having under his roof two males under 10, five males between 10 and 16, one male between 26 and 45, five females under 10, and one female between 26 and 45.[51]

The guardian accounts give some interesting insights into day-by-day activities. Buying new shoes and mending old ones for the two boys were constant expenses. Regular sums of money were sent to Mrs. Lee, Harriotte's[Pg 16] sister Sally, to pay for Cornelia Turberville's board, education, and small purchases. Books and supplies were bought for the boys. A large portion of the estate was rented out, and so were some of the slaves. The chimney and cellar were repaired; a new barn was built.[52]

The accounts also show that Cornelia Turberville was married to Charles C. Stuart in 1817, rather than 1814, as some sources report. Up to the time of the marriage, Maffitt referred to Cornelia as "C. Turberville"; afterwards he formally termed her "Mistress Stuart." He also listed money given George Turberville to buy articles to attend his sister's wedding.[53] Historians credit Cornelia and her husband with building a house named "Chantilly" in honor of the estate of her grandfather, Richard Henry Lee, in Westmoreland County.[54] Yet the Maffitt accounts specifically refer to "my rent of Chantilly" in 1814,[55] three years before the Turberville-Stuart marriage. Moreover, a public sale was held "at Chantilly" in 1817,[56] with cash paid to C. C. Stuart from its proceeds.[57]

Curiously, the accounts show that Maffitt continued to pay rent to the Turberville heirs through 1814, the year when, for the first time, we definitely know he was living at Salona. Does this mean that Maffitt himself built Salona between 1812, when he purchased the property, and 1814, or that the house already existed and was rented to a tenant through the first part of 1814? That Maffitt was there in August 1814 is proven by the documented fact that President Madison stayed at Salona overnight with Mr. Maffitt.

Robert Gamble, in his volume on Sully, quotes a letter which states that Richard Bland Lee, Jr., was under the tutelage of the Reverend Mr. Maffitt at some time preceding 1805. [58] This again would suggest that Maffitt had a school at Chantilly, close to Richard Bland Lee's home at Sully. Another biographer mentions that

Edmund Jennings (Lee) was born at Alexandria, then in the District of Columbia, on the 3rd of May, 1797.... Mr. Lee received his earliest educational training at the school of the Rev. Mr. Maffitt in Fairfax, a school of high repute at that day. [59]

[Pg 17]

Unfortunately no dates or locations are given by the letter-writer or the biographer.

In his history of the Old Presbyterian Meeting House, William B. McGroarty described Maffitt in a footnote as "a Presbyterian minister who conducted a school for boys in Fairfax County near Alexandria." [60] Neither Chantilly nor Salona was very close to Alexandria.

A letter from A. C. Stuart to Elizabeth Collins Lee in 1805 states that:

Mr. Maffitt intended to leave the place where he now resides and purchase a small farm, that he, Frank (Francis Lightfoot Lee, Harriotte's youngest brother) intended to do the same, that they were to spend their time in the pursuit of agriculture, botany, and philosophy. [61]

Was this wish expressed because Chantilly was not Maffitt's property but that of his stepchildren, because Maffitt was lonely without Harriotte, or because he wanted to give up teaching for farming? Somehow, from the guardianship accounts, it seems likely that Maffitt did not farm the Turberville acres, but rented out whatever he could, while he busied himself otherwise.

Usually the Alexandria Gazette carried announcements of the openings of new schools, but no announcement of Maffitt's school ever seems to have appeared. Because Maffitt performed the marriage of Gazette publisher Samuel Snowden to Mary Longden on January 8, 1802,[62] such an announcement might have been expected. Neither did the Gazette report Maffitt's departure from the Alexandria area.

Probably Maffitt was still living at Chantilly when he married for the second time between 1807 and 1811 before William Maffitt, Jr., was born. His second wife was Ann Beale Carter Carter (1767-1852),[63] widow of Charles B. Carter. Ann, also known as Nancy, was the daughter of Robert Wormely Carter of Sabine Hall in Richmond County, and Winifred Beale.[64] William, Jr., the only child of this marriage, was born in November, 1811, and christened in the Presbyterian Meeting House in February 1812. [Pg 18][65]

In August 1812, Maffitt was appointed a trustee of an academy to be established in Haymarket. Among those serving with him were Ludwell Lee of Belmont, Francis Lightfoot Lee, then living at Sully, and William Fitzhugh of Ravensworth.[66]

Meanwhile, in 1809, James Madison, Secretary of State under Thomas Jefferson, had been elected President. On June 18, 1812, Madison signed a declaration of war against England. The causes of the war, sometimes called the Second War of Independence, were basically several aspects of nationalism. Some resentment against the British still smouldered, fanned by British contempt and condescension toward her former colonists. Because many English sailors deserted their ships to sail under American colors, British ships intercepted American vessels and "impressed" their seamen. Furthermore, many American politicians wanted to annex Canada.

Neither the war nor the President was popular with the people, who thought the President weak and called the conflict "Mr. Madison's War." Attempted American invasion of Canada was a fiasco and by August 23, 1814, the British forces were so close to Washington that the clear and present danger of an actual invasion of the American capital seemed imminent.

John Graham, Chief Clerk in the Department of State, and two other clerks, Stephen Pleasanton and Josiah King, packed the valuable public records of the State Department in coarse linen bags which Pleasanton had purchased earlier. These included the original Declaration of Independence, articles of confederation, federal constitution, treaties and laws and many other papers. Stephen Pleasanton found conveyances, loaded the bags into them and took them to a mill 3 miles beyond Georgetown, where they were concealed. Pleasanton spent the night of August 23, 1814, at Salona with the Rev. Mr. Maffitt. The next day, fearing that the mill might be too accessible to the British, who were fast approaching Washington, Pleasanton took the state papers to Leesburg for safety. [67]

Dolley Madison, the President's popular wife, could hear in the President's House the sounds of cannon "from a skirmish at Bladensburg." The President had gone to meet Gen. William H. Winder, commander of the military district, and had left his wife instructions to "take care of my self, and of the cabinet paper, public and private." [Pg 19] [68]

Writing to her sister, Lucy Todd, Dolley cooly reported that her husband

desires that I should be ready at a moment's warning to enter my carriage and leave the city.... I am accordingly ready; I have pressed as many cabinet papers into trunks to fill one carriage; our private property must be sacrificed, as it is impossible to procure wagons for its transportation. [69]

She continued the letter on Wednesday, August 24:

Two messengers, covered with dust, come to bid me fly.... At this late hour, a wagon has been procured; I have had it filled with the plate and most valuable articles belonging to the house....

Our kind friend, Mr. Carroll, has come to hasten my departure, and is in a very mad humor because I insist on waiting until the large picture of Gen. Washington is secured, and it requires to be unscrewed from the wall. The process was found too tedious for these perilous moments; I have ordered the frame to be broken, and the canvas taken out; it is done—and the precious portrait placed in the hands of two gentlemen of New York, for safekeeping.... When I shall again write to you, or where I shall be tomorrow, I cannot tell!! [70]

Apparently Dolley spent the night of August 24 in a tent in the American encampment at Tennallytown, and the next day crossed over into Virginia where she spent the night of August 25 with Matilda Lee Love at Rokeby. The roads were crowded with refugees and the exodus was slow. As the Loves had often been guests at the President's House, Dolley did not have to spend night with strangers. In her reminiscences, Matilda Love wrote:

In the following spring of 1814, it (the war) came more home to us, as the British got into our southern waters, and in August came up to Washington and burnt all the public buildings.... As I lived about ten miles from Washington, Mrs. Madison and a number of city people took refuge at my home the night the British took Washington....

[Pg 20]

They watched the flames of the burning capital from Rokeby that night.[71]

Irving Brant, definitive biographer of Madison, writes of the departure of the Madisons from the capital:

The travels of President and Mrs. Madison after the battle have long been involved in obscurity and contradiction owing to the meagerness of early records (Dolley's letters about it were eaten by mice), uncertain memories and the derogatory stories circulated by political detractors. The facts bear little resemblance to the popular stories in which the Jones and Carroll families are nonexistent, Dolley wanders forlornly from house to house, while Madison, split in person rather than personality, simultaneously hides in a miserable hovel in the Virginia woods and flees in terror into the distant hills of Maryland.

Actually, a clear record was left by participants and observers. The original plan was for Madison to join Secretary Jones and their families at Bellevue and proceed by way of the Little Falls bridge to Wiley's Tavern on Difficult Run near the Great Falls. From there the President and cabinet members would cross the Potomac and join the army. Time growing short, Madison changed the rendezvous to Foxall's Foundry. With that route from the White House clogged by the militia's flight, he sent Tench Ringgold to the foundry with word that he was crossing at Mason's Ferry and would meet his wife and party at Salona, the home of the Reverend John [sic] Maffitt, three miles above the Little Falls bridge.... [72]

Madison, Rush and Mason rode to Wren's Tavern at Falls Church. Monroe and Ringgold took the Leesburg road, stopped briefly at Rokeby, the home of Richard Henry Love, two miles above Little Falls, and went on to Wiley's Tavern. From Wren's Tavern the President went to the Minor home and from there to Salona, where he spent the night with the Maffitts. [Pg 21] But Mrs. Madison failed to come. She and her party had stopped only a mile away at Rokeby, with her young friend Matilda Lee Love, an occasional overnight guest at the White House....

The next morning, Madison went back to Wren's Tavern—looking for his wife, he told Colonel George Graham, who gave him a guard of two dragoons. Returning to Salona, the President learned that Mrs. Madison and the Jones and Carroll families had gone by on their way to Wiley's Tavern. He and Rush followed along the Old Dominion Road (Mason being detained for a time) and took refuge from the hurricane in a house at "The Crossroads" five miles from the Little Falls bridge. [73]

At midnight, the President went to the new Conn's Ferry above Great Falls, and at daybreak he crossed the river into Montgomery County, Maryland. Mrs. Madison stayed at Wiley's Tavern until the President sent her word that Washington was clear of the enemy.[74]

A more romantic but apocryphal story of the Madison's flight from Washington was written in 1914 by a columnist known as "The Rambler" for the Washington Star.[75] In this version, Dolley crossed the Potomac on "the Causeway Ferry," then passed Nelson's mill, went on to Falls Church, and finally drove up "to Salona Hall, the home of Parson Maffitt, and was welcomed by Mrs. Maffitt." He further recounts that Mrs. Madison was refused shelter at two country places before she reached Salona, though this did not seem reasonable. [76]

The oft-told story of Dolley Madison's having been refused sanctuary on her way to Salona by several households is not borne out by all published accounts. Apparently, the account which does have most corroboration is that regarding the day following the night she and her party stayed at Rokeby.

Mrs. Madison went on the next morning, August 25, to meet her husband at a tavern near Great Falls, probably Wiley's on Difficult Run. This had been prearranged, and on arrival she went upstairs to wait for Mr. Madison. Shortly, the lady of the establishment called out to her in rage, saying, "Miss Madison! If that's you, come down and go out! Your husband has got mine out fighting, [Pg 22] and d—— you, you shan't stay in my house; so get out!" Other refugees joined in the outburst, even those who had once been guests of the Madisons at the President's mansion, and agreed she should be expelled from all doors. Nearby, there was another tavern, and Mrs. Madison and her party gained admittance there to wait for her husband's arrival later that evening. [77]

After the excitement of Madison's visit was over, Salona must have reverted to its normal calm. At last Maffitt had realized his dream of farming; the personal property tax records and inventory of his estate clearly define Salona as a working farm.

But his fortunes declined, if we can judge by his personal property tax assessments. Maffitt was assessed for 18 horses and mules and 21 black slaves in 1812; in 1814, when a very detailed account was rendered by the county, Maffitt was shown to have 19 slaves, 12 horses and mules and a coache (4-wheeled carriage) valued at $450. In all of Fairfax County that year, only Thomas Fairfax, William Robinson and Bushrod Washington had coaches of higher value than his and their vehicles were evaluated at $500 each.

By the year of his death, 1828, only 13 slaves and 3 horses were listed, and the total evaluation of his personal property was listed at $150. The inventory of William Maffitt's estate did show that he had 116 head of livestock on the place including horses, oxen, sheep, hogs and cattle. He was growing turnips, corn, rye, oats, hay and orchard grass. The long list of household furnishings included three desks and two bookcases of high evaluation, indicating there were books in them. (See appendix for full inventory.) The fortunes of his widow, Ann Carter Maffitt, declined further, until by 1835, she was dropped off the county's personal property tax rolls. [78]

For many years, William Maffitt had continued to serve as guardian to his first wife's Turberville children. Although Cornelia Turberville continued to live with her aunt in Alexandria until her marriage in 1817, her two brothers seem to have lived at Salona. In June 1815, Richard Turberville drowned in the Potomac while visiting his cousin Matilda Lee Love at nearby Rokeby.[79] Maffitt's accounts for June 23, 1815, report the expenditure of $37.50 for Richard's coffin. He may have been buried in the graveyard on the Salona property. [Pg 23] [80]

The other brother, George Turberville, at some time in childhood became a deaf mute as the result of typhoid fever. Maffitt's accounts do not reveal the date of the onset of this affliction, but they do show that in April 1818 George entered "The Asylum" in Hartford, Connecticut. At that time, Maffitt advanced George $100 for board and tuition and $100 for travel.[81] George still returned to Salona for vacations, because in July 1819, Harriotte Maffitt wrote to him:

It is now my time to write to you my Dear Brother. We are glad the time is so near when we expect you. When you come home we will go to George Town to meet you. Dr. Muir has been here and he preached here. Aunt Whann and Aunt Sally Maffitt have been here. Uncle Whann has gone to travel. I hope you will be well acquainted with the History of the Bible and particularly the life and miracles of our Blessed Saviour. We have not heard from Chantilly for some time, I hope we will go up soon. Cousin Sally Lee is there. We expect Aunt Edmund Lee will come here very soon. Sister Cornelia expects Mrs. Mary Tollaver, your Cousin up to see her this summer. Do you know Mr. Harrison of Alexandria? He is coming here to preach for us in August. Do you love me? I pray to God to bless and preserve you. Old Mrs. Randle is very well we went to see her yesterday. When you come home you must go to see her with us. I saw Miss Betty Jones last Sabbathe. She asked me when I had heard from you answer my letter very soon if you please. Tell me how the deaf and dumb are and if they improve. You must love and obey your teachers. Papa Mama and all the girls send their affectionate love to you.

I am your affectionate sister.

Harriotte Maffitt. [82]



P.S.
All the Boys send their
respects to you.

[Pg 24]

Another letter, this one from William C. Woodbridge to the Reverend William Maffitt from "Asylum," was dated February 21, 1820, and referred to a fight between George Turberville and another student. Woodbridge wrote:

It seems he was ridiculed & resented it & was then challenged. He says he was wounded in the knee & his antagonist the same. We learned it from his boasting of it to our pupils. He now expresses entire disapprobation. He made the question to you by my request.

Woodbridge refers to George's independence and pride which must be checked. Obviously, this letter was one of many exchanged between Woodbridge and Maffitt regarding George's progress [83] and is evidence that George wrote home to his stepfather as well as to his sisters.

Although William Maffitt died before the Lewinsville Presbyterian Church was founded, church historians claim him as a founding father, saying that he was appointed by the Washington Presbytery to preach and set up a mission near Langley. [84] Harriotte's letter may lend credence to this, although there is no report of such an assignment in the Minutes which list Maffitt only as "without charge" after 1800. [85]

One reason for this belief may have arisen because of a bequest in the will of Elizabeth Lee Jones, the "Miss Betty Jones" of Harriotte's letter. Daughter of Lettice Corbin Turberville and Catesby Jones of Westmoreland County, Miss Betty lived at "Sharon" on part of the George Turberville grant. Her will, dated April 16, 1822, left four acres of her property "as a site for a church and churchyard ... dedicated to the uses and purposes of divine worship in such manner and subject to such rules as shall ... be prescribed by the Rev'd William Maffitt" and eight other ministers: —Carnahan, Wells Andrews, William Hill, John Mathews, J. B. Hoge, William C. Walton, M. Baker, and Samuel D. Hoge, all representatives of the Presbyterian Church. William Maffitt was a witness to this will. Apparently, this was Maffitt's primary connection with the establishment of the Presbyterian Church at Lewinsville. [86]

 


[Pg 25]

III
SALONA FOR SALE

After William Maffitt's death, his widow must have found life difficult. She had to keep up the farm, care for the slaves, and support her children and stepchildren. There was an outstanding debt on Salona owed to her sister-in-law in Georgetown. William Maffitt had mortgaged the property with Margaret Whann for $6,000 in 1823, and had paid back almost half of the amount due prior to his death. [87]

Ann Maffitt's state of mind was clearly revealed in a letter written by her on July 22, 1828, to Col. George W. Hunter urging him to reconsider his refusal to become administrator of her husband's estate. She pleaded with him: " ... I shall send my dear fatherless (and I might almost add) friendless Son to you this morning who will say everything he can to beg you not to desert us in our great time of need...." [88]

Dr. William Maffit, Jr

Dr. William Maffitt, Jr., Major, U. S. Army.
Born November 14, 1811, in Virginia. Died October 7, 1864, St. Louis, Missouri.
He was Reverend William Maffitt's only son.

[Pg 26]

Apparently her appeal fell on deaf ears, for the court records show that Robert C. Jackson was administrator. Margaret Whann brought a chancery suit against the heirs of Maffitt in 1831 and bought Salona at auction through her agent, Joseph McVean, for $2,650, only partial repayment of the $3,716.54 still due her. Meanwhile, slaves and personal property were sold, and small debts repaid. George W. Hunter, the lawyer who had refused to serve as administrator, came to a sale on May 20, 1829. John Hill Carter (Ann's son by her first marriage), E. L. Carter (probably her youngest daughter, Elizabeth), Thomas B. Balch (husband of her daughter Susan), Commodore Thomas ap Catesby Jones (a close neighbor), and George L. Turberville (Harriotte's son by her first marriage) all bought some of the slaves and personal property. When the property evaluation was made, the estate was worth $1,822.87-1/2. The inventory of Maffitt's personal property, exclusive of his slaves, was $1,588.89-1/2. No total was given for the value of the slaves. The court-appointed appraisers were Nicholas Paine, William Swink, and Joseph Sewell. Although they prepared their inventory in 1828, it was not reviewed and accepted by the court until March, 1832.[89]

Margaret Maffitt had been born in Cecil County, Maryland, on April 7, 1780. According to Sarah Somervell Mackall, Margaret went to Georgetown to visit her eldest sister Jane, wife of William Whann. While there, Margaret met William's brother, David Whann, and they were married on November 16, 1807. Until 1804, David had been a purser in the U. S. Navy on the Essex. Later he became a paymaster and traveled widely abroad. A captain in the D.C. Militia, he died of sunstroke in May, 1813, while reviewing his men on the parade ground. His widow "never received any compensation from the government" and was left with two small children, a son and a daughter.[90]

Apparently Margaret permitted Ann Maffitt to remain at Salona until 1835 at least and possibly until 1842 when the property was sold to Chapman Lee. In any case, Ann Maffitt and the three Maffitt children did not sign a quitclaim to the property until 1835.[91] Margaret Whann probably hired a tenant to maintain Salona as a working farm. There are no indications that Mrs. Whann ever lived at Salona; the deed to Lee refers to her as being "of Georgetown in the District of Columbia."

[Pg 27]

Chapman Lee, who was living in Alexandria at the time of the sale, bought the property in 1842.[92] He held the property for three years, then divided it and sold 208 acres to Elisha Sherman "late of Fairfield County, Connecticut."[93] The balance was conveyed to James McVean and Samuel M. Whann. Eight years later, Elisha Sherman and Anna, his wife, late of Fairfax County and "now of Washington County, D.C.," sold to Jacob G. Smoot of Georgetown the tract "heretofore called Langley but now called Salona"—208 acres.[94]

The Maffit Grave

The Maffitt grave is located in the Lewinsville Presbyterian Church cemetery, McLean. Photo by the author, 1975.

[Pg 28]


IV
SALONA AND THE SMOOTS

William Smute, originally of Dutch ancestry, came to Virginia from Scotland in 1633 and received a grant for 400 acres of land in 1642. He removed to Maryland in 1646 and thereafter, the Smoot (Smout) family activities as reported in local records showed periodic involvement with public affairs of county, colony and nation.[95]

In a recent history of St. Mary's County, Maryland, William Barton Smoot was listed as captain of the Lower Battalion of the county's militia during the American Revolution[96] and a William Smoot was recorded as a recruit for service in the War of 1812 by James Jarboe of Great Mills.[97] Mentions were made throughout the eighteenth and nineteenth centuries of Smoot activities having to do with railroads, roads and schools.[98] The Smoot family also appears in the public records of Charles County, Maryland. Some family members migrated to Kentucky, others to Washington, D.C.[99]

Although Jacob Gilliam Smoot of Georgetown, D.C., purchased 208 acres of property—Salona—in 1853, he also held property on High Street (now Wisconsin Avenue) in Georgetown from which he probably obtained income. His family spent winters in Georgetown. Smoot had attended Charlotte Hall Academy in Maryland and his son William was a graduate, in law, from Georgetown. [100] The Salona property was of a size and assessed valuation consistently greater than over half of the properties assessed in Fairfax County at the time. Smoot's personal property including several slaves, was also well above average in quantity and evaluation. [101]

[Pg 29]

 

Camp of the 5th Vermont

The caption under this photograph reads: "The Battle Hymn of the Republic—'A Hundred Circling Camps.' The Fifth Vermont in 1861, with their Colonel L. A. Grant." From The Photographic History of the Civil War In Ten Volumes, pp. 154-155. The rock formation in the lower right hand corner can still be seen on Kurtz Road near Salona.

[Pg 30]

 

Map of NE Virginia

The McDowell map of northeastern Virginia, 1862, showing the section including Fort Marcy, Langley, Lewinsville and the Smoot's "Salona" property.

[Pg 31]

Sometime following Smoot's purchase of Salona, he bought two prize hunting dogs for a total of $5,000. The dogs later died from rabies. Smoot was interested in establishing a good herd of cattle so he purchased expensive registered Aberdeen Angus cattle prior to the Civil War. During the war, the cattle were appropriated and eaten by Union troops. [102] There were 50 cattle listed in the tax assessment in 1857, but the herd had dropped to 12 by 1860. In that year, Smoot was also assessed for 20 sheep and hogs. Gold, plate, silver, jewelry, kitchen and house furnishings were evaluated at $500, far above the average that year in Fairfax County. [103] The Smoots were a relatively well-to-do family.

From October, 1861, to April, 1862, according to a strong Smoot family tradition, Salona was used as the headquarters of the Army of the Potomac. Camp Griffin, in fact, was an installation partly on Salona and partly on adjoining farms and was part of the outer defenses of Washington. General George McClellan's dispatches, however, never used either Salona or Smoot's Hill as a source, although he did use datelines of Fairfax Court House and Camp Griffin. Military historians generally agree that McClellan was living in Washington, D.C., at the time, and, therefore, as commanding general, his residence would have been considered the headquarters. [104]

It is certain that troops were camped there and that there was skirmishing in the immediate vicinity of Salona. The following incident was recorded by E. M. Woodward, adjutant in the Second Pennsylvania Reserves:

Early on the morning of the 9th (October 1861) General Smith advanced his division from the neighborhood of Chain Bridge to Langley where deploying his skirmishers, he pushed forward a brigade on the Dranesville Pike, and took possession of Prospect Hill. With his main body he diverged from the pike at Langley to the left, advancing toward Lewinsville, which village he entered and occupied without opposition, leaving the main portion of his troops at Smoot's Hill and pushing on a detachment to occupy Miner's Hill....

During the first ten days, the "long roll" was beaten and the men got under arms five times. On the night of the 11th the pickets in the neighborhood of Lewinsville were driven in and the next day the enemy consisting of at least three regiments of infantry, some cavalry and a battery of six guns were discovered [Pg 32] near Miner's Hill, concealed in the woods, which led to the supposition that an attack was meditated the next morning. At noon the drums beat and the men got into fighting order. General McClellan and staff including the Comte de Paris and the Duc de Chartres rode over and remained during the night at Smoot's House, and at midnight the drums beat again and every preparation was made for an attack.

It was a clear and beautiful night, the moon shone forth in its mild beauty, the stars twinkled with resplendant glory and not a cloud glided through the sky. The drums beat the long roll, the trumpets of cavalry and artillery sounded their shrill blasts and the bands of the infantry pealed forth their most soul-stirring strains. The camp-fires burned brightly, the glittering bayonets and sabres flashed in the light and every heart beat high with hope.... But alas, after remaining in position until daybreak, chilled with falling dews, the boys were doomed to disappointment. Beauregard had only been in a reconnaissance in force, to ascertain our position since the recent extension of our front. [105]

When the federal troops moved out of the encampment in March, 1862, Captain W. A. Hawley and Lt. Col. W. B. Hazmand of the 102d New York Volunteer Battalion signed the following memorandum giving all army materials left behind to Jacob Smoot: [106]

Army Memorandum

Original memorandum in the possession of Clive and Susan DuVal, Salona.

 

[Pg 33]

The Smoots spent most of the war in Georgetown, returning at the end in time to save some furniture and the main part of the house from being burned. Both wings of the house, the garden and many fine trees had been destroyed in their absence. They had filed petitions during the war asking the federal government for compensation for their losses. When federal troops had occupied Salona, Smoot had taken eight slaves to Georgetown where his brother John was in the drygoods business. During the investigation of his reparations claim it was discovered that J. G. Smoot had signed the Ordinance of Secession in the Lewinsville Precinct in Fairfax County on May 23, 1861. This act disqualified him from receiving compensation. [107]

Following the war, the Smoots set about the arduous task of restoring their farm to its former prosperity. By 1868, the aggregate value of personal property at Salona was $1,085, and in that year, only one in 15 taxpayers in the county had a personal property tax evaluation of over $1,000. A rosewood piano made its appearance, followed the next year by the addition of a "pleasure carriage" and a watch. [108] In 1870, books and pictures owned by Smoot were valued at $25.00—the vast majority of taxpayers had none assessed at all. By 1881, there were four conveyances, 10 horses, 10 cattle, 15 sheep, books valued at $50.00, two watches and two clocks. One of the clocks was probably the chiming grandfather's clock made in Newburyport, Massachusetts, which was built about 1817 and is still in the family. [109] A sewing machine was also listed. It is interesting to note that by 1881, at least half of the households in Fairfax County had such a machine. [110]

Salona was a working farm with a large barn, smokehouse, ice pond, and cabinetshop. Hogs, sheep, cattle and fowl were raised as well as wheat and corn. The old stone house, thought by the family to have been the oldest structure on the place, was surrounded by a peach orchard. The Smoots grew scuppernong grapes, plums and apricots. Italian grape vines adorned the arbor between the house and the brick privy. Descendants say that the farm had a consistently high yield per acre of corn and wheat, and that this information was faithfully recorded in account books which were destroyed when the attic was cleaned out or taken by vandals and lost. [111] But records in gazetteers listed J. G. and William Smoot as principal farmers in the Langley area for a period of more than 20 years. [Pg 34] [112]

Smoot Family Photo

 

Smoot Family Photo

Smoot family photographs, late 1800s.

[Pg 35]

Sheraton writing cabinet

This mahogany Sheraton writing cabinet was obtained from England by the Kurtz importing firm in Georgetown, and was used for many years by the Smoots at Salona.

Jacob Smoot's Portrait

An unsigned charcoal portrait of Jacob Gilliam Smoot of Salona.

Wine Glass Coolers

These wine glass coolers are of deep blue glass with lips on opposite sides. They were used to rinse wine glasses between courses as different wines were served at Salona.

Horsehair seat

Side chair with original horsehair seat.

Marble top wash stand

The marble-topped washstand and the blue and gold Haviland china were used by the Smoots at Salona.

Silver spoons

These coin silver spoons, marked "M. W. Galt & Bro." on the back, were hidden by Helen Calder Smoot, Jacob's wife, who, according to family tradition, tied them around her waist beneath her petticoat during the Civil War.

All photographs by Gene Lebherz.

[Pg 36]

Map of Potomac area

Map from G. M. Hopkins, Atlas of Fifteen Miles Around Washington, 1879.

 

[Pg 37]

Salona farm

Salona farm, about 1900.

 

Salona farm

Salona farm, about 1890.

 

Like William Maffitt, Jacob Smoot died intestate, in 1875. He was survived by his widow Harriet and their four children, William S., Helen M., Harriet E., and Catherine C. After his widow died, each of the children received one-fourth of the estate. Even before Jacob's death, William Smoot, Sr., had taken over management of the farm while his unmarried sisters kept house. Each of the sisters took one of William's sons to raise. Jennie, William's wife, according to the Smoot descendants, acted as hostess, greeting visitors and entertaining them. Their son John moved to Georgetown; William Jr., went to Waterford to be the miller there; Gilliam stayed with his parents and gradually took over the farm operations. Life at Salona went on as usual, with no question of selling the farm or dividing its acreage.

[Pg 38]

William S. Smoot, Sr., died in 1900 leaving his share of Salona by will to his widow, Jennie K. Smoot. When she in turn died intestate, their three children, John D. K., Calder Gilliam, and William S., Jr., shared her portion of the estate. Jacob's three daughters never married, so their portions descended to their three nephews, William's sons, John, Calder Gilliam (known by the family as Gilliam), and William, Jr.

Both John and William died intestate. John's share of Salona was divided among his widow, Julia B., and their children, Jane Smoot Wilson, John D. K. Smoot, Jr., and Henry B. Smoot. William's share went to his widow, Elizabeth, and their two sons, William S., III, and John J. [113]

Salona circa 1914

"Salona," from an unpublished picture taken by "The Rambler,"
about 1914. See
Sunday Star, "The Rambler," August 2, 1914.

 

In 1914, The Rambler, a Washington Star columnist, visited Salona, talked with the Smoots, and wrote a charming word picture of the exterior of the house:

You draw up in front of the garden which surrounds the house. A white-washed [Pg 39] fence four boards high, incloses the garden. Inside are old cedars thick through the trunk and solemn in foliage. There are clumps of rose bushes and borders of jonquils. Stumps of trees that have been wrecked by wind or lightning support bark-bound flower boxes. A driveway curves to the left and a gravel path leads straight to the front porch before which the box trees are growing. The porch is capacious with a balcony on top. Under the porch and in the middle of the house is an arched doorway. On the left of the garden around the house is an apple orchard and on the right is a flourishing grape arbor. This is Salona. It is a fine, quiet and dignified old place. [114]

Some years later, in 1932, for the first time in history (as far as it is known) Salona was open to view by the general public. It was one of the occasions in local observance of the George Washington Bicentennial Birthday Anniversary. Mrs. John Kurtz Smoot was the official hostess and she and her house tour guides were dressed in floor-length period costumes. [115]

World War II brought the end of the estate as a family farm. Gilliam was growing older and was suffering from arthritis; help was almost impossible to find. Unable to carry on with farming, Gilliam rented the land to the Carper family as pasture and moved from the mansion into a smaller house nearby. A family of Negro caretakers moved into Salona for a time. After the Carper lease expired without renewal, the caretakers left. William S. Smoot, III, occasionally lived on the property, sometimes in a portion of the main house, and sometimes in the old stone house, which he dreamed of remodeling. The main house was rented to an antique dealer who, according to a Smoot descendant, had the house "filled with junk from top to bottom."

Since they could no longer maintain Salona as a working farm and none of them wanted to occupy the main house on a permanent basis, the Smoots decided to partition the property. In 1948, Calder G. Smoot, only [Pg 40] surviving son of William S. and Jennie K. Smoot, Sr., received as his share some 65 acres and the house. He did not, however, occupy Salona. [116] In the late 1940s and early 1950s, small parcels of the Salona property were sold to the McLean Baptist Church, the Salona Shopping Center and Trinity Methodist Church. [117]

In the early 1950s, Salona was rented to the McLean Summer Theatre as a dormitory for the actors. Reportedly, they left the house "a shambles." The next tenants were a Danish captain and his family who occupied the east wing.

In 1952, Calder Gilliam Smoot died "unmarried and intestate" and his 65 acres and the house became the joint property of his four nephews: John D. K. Smoot, Jr., Henry B. Smoot, William S. Smoot, III, and John J. Smoot, and of his niece, Jane Wilson Smoot. Most of this property, in three separate land transactions, became the property of Clive and Susan DuVal. [118]

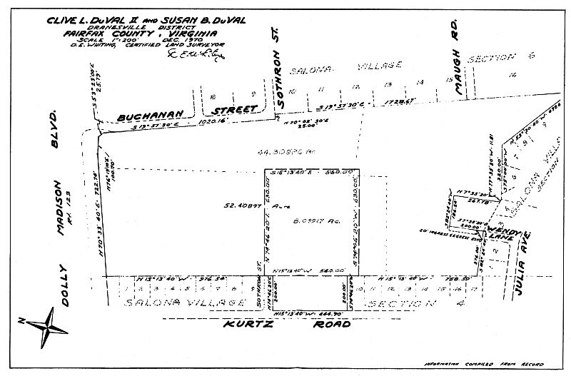
Division Plan

 

[Pg 41]


V
SALONA AND THE DUVALS

Susan and Clive DuVal, II, arrived in northern Virginia in 1952, hunting for an older house with interesting architectural features and surrounding acreage. When they discovered Salona, it was occupied by the Danish family who were in the east wing. They decided it was just the house they wanted, unprepossessing though it appeared, full of the musty odor of unoccupied houses, ill-treated by a succession of temporary tenants and youthful vandals, and in poor repair inside and out. Inspection of the house would have discouraged the average home buyer but the DuVals had the desire and resources to do what was necessary to rehabilitate the dwelling and to live in it.

The first of three tracts was purchased from the Smoot heirs in January, 1953, and the DuVals spent about a year extensively renovating the house and grounds before they moved in. Without specific descriptions of the original house to use as guidelines, they attempted to preserve as much as possible of the presumed original dwelling while adapting it to modern living. [119]

Both of the DuVals are descendants of French Huguenots who immigrated to New Amsterdam in the late eighteenth century. Both were born in New York City. One of Mrs. DuVal's grandfathers was Jesse Metcalf, a United States senator from Rhode Island, and her father was Frederic H. Bontecow, a New York state senator. As other residents of Salona had been before them, the DuVals were well educated, above the average level of Fairfax County residents. Mrs. DuVal is a graduate of Vassar, DuVal of Yale University Law School. And like some of their predecessors, their income, cultural interests and extent of community involvement are also well above the average for the time in which they live. [Pg 42] [120]

The DuVal family arrived in Fairfax County during a period when the population growth was expanding rapidly, both from in-migration and natural increase. With them the couple brought their three children, Susan Lynde (Lyn), Clive, III, and David. Daniel, their fourth, was born in 1953. Their experience was a reflection of the times—in the 1950 U. S. Census, Fairfax County's population was 98,557; in 1960, it had increased to 248,897. [121]

The DuVal Family

The DuVal family, about 1957. Left to right Daniel, Susan Lynde, Clive II, Susan, David and
Clive III. The English setters, Christmas, Dusty and Belle, are also "members of the family."

 

[Pg 43]

Also reflecting the Washington metropolitan area's typical experience in the 1950s, DuVal came from elsewhere to accept employment with the federal government, in his case, as Assistant General Counsel (International Affairs) for the Department of Defense. He was, typically, a World War II veteran, a former officer in the United States Navy. From 1955 to 1959, he was general counsel for the United States Information Agency. Since then, he has been in the private practice of law. As did the majority of married women with children in the decades 1950-1970, in Fairfax County, Mrs. DuVal stayed at home with the children rather than taking a regular outside job, except for her many volunteer projects in which she was regularly involved in the McLean community. [122]

Salona became a place of hospitality, where social, political, arts and educational events were held. The Woman's Club of McLean, the McLean House Tour, the McLean Ballet Company, Children's Hospital, the Fairfax YWCA, the McLean Boys Club, the Northern Virginia Democratic Women's Club, Yale University students and the Historical Society of Fairfax County, were among the many beneficiaries of the DuVals' generosity in making Salona available for special events. [123]

In 1965, DuVal ran for and was elected to the Virginia House of Delegates, in which he served for three consecutive terms. [124] He ran unsuccessfully for the United States Senate seat against Harry F. Byrd, Jr., in the democratic primary in 1970, but was subsequently elected to the Virginia State Senate in 1971 and 1975. [125]

Because of his deep interest in conservation and environmental protection, DuVal received both the Virginia state award and the National Wildlife Federation award in 1970 for being the outstanding conservation legislator in the United States. [126] Consistent with this demonstrated interest, the DuVals decided to take a major step in conservation themselves. They entered into a perpetual easement agreement in 1971 with the Board of Supervisors, Fairfax County, Virginia, for the historic preservation of Salona, its surrounding outbuildings and eight acres of land. In the same legal instrument, a temporary easement for the remaining 44.3 acres was arranged for a period of at least ten years. [127] A later amendment, in 1974, provided for termination of the temporary easement only after January 1, 1990.[Pg 44] [128]

In 1975, a patriotic organization, the Society of the United States Daughters of 1812, obtained the DuVals' permission to place an historic plaque at Salona to commemorate James Madison's visit there in 1814. The bronze plaque was mounted in a foundation stone from what are thought to have been old slave quarters. They once stood in the side yard below the house. The plaque reads as follows:

 



1784-1815

SALONA

"A place of great hospitality"

Shelter for President Madison

August, 1914

When British burned Washington



Plaque placed by Virginia State Society

National Society of United States

Daughters of 1812


1975


[Pg 45]

 

VI
SALONA: THE HOUSE AND OUTBUILDINGS

The date of construction and the name of the builder of the house known as Salona are unknown.

There have been many changes to the mansion house, the outbuildings and grounds through the years. The central house now has only one wing instead of the earlier two. The large barn has been torn down; only the substantial foundation bears witness to its size. A pile of rubble marks the site of "the old stone house," thought by the Smoot family to have been the oldest structure on the property. The driveway entrance is off Buchanan Street instead of the Falls Road, although evidence of the older driveway still exists. The rear entrance road has been blocked by subdivision construction, although its route remains visible across the south side of the property. Perhaps the most decided changes are in the use of the land itself. As McLean grew, the Salona farm shrank in area and its formerly fertile acres were transformed into shopping centers, subdivisions, streets and roads.

Architectural historians say that they cannot pin-point the exact construction date of Salona, but believe it to have been between 1790 and 1810, a full twenty-year span. This belief is based in part on examination of the types of nails used in the attic of the main house, as well as the similarity of the "cross and Bible" door at the north entrance to some of the doors at Sully, whose construction began in 1793. [129] Many local sources claim that the house was built in 1801 by William Maffitt, [130] but this supposition has not been documented. The Smoot children were always told by their elders that the house was started in 1790 and finished in 1801, and that Maffitt was the builder. There was a residential structure on the land when the 466 acres were advertised for sale in 1811. [Pg 46] [131]

Salona Floor Plan

 

[Pg 47]

Originally, the house was probably a rectangular two-story, five-bay structure with flanking wings, which may have been frame. On the north front, the brickwork is Flemish bond; on the other three sides and the wing it is common bond. There are two interior end chimneys. An elaborate bracketed cornice supports the gabled roof. This cornice and the bracketed entrance porch with paired, squared columns show definite Victorian influence and were probably originally added after the Civil War. The DuVals altered the design slightly when they renovated the house in 1952.

The most unusual feature of Salona is its wide T-shaped hall which runs the full width of the north front of the central house, with the main stairway rising at its west end directly across one of the front windows. The long hall originally led to the wings on either end, but these were apparently destroyed during the Civil War and only the east wing was rebuilt in 1866. There is a fireplace in every room, although most of the Federal-style mantels have been recently installed in Salona and have come from old houses in North Carolina and New England. There are chair rails on the walls of the living room, dining room, and the first floor hallway. Extensive remodeling was done by the present owners. [132] The T-shaped hall ends on the solid wall behind the stairway on the west side, and on the east leads directly into the post-Civil War wing which contains a small sitting room, bathroom, and the kitchen. The smaller hall, the stem of the T, runs perpendicular to the main hall with opposing entrance doors at each end. The spacious living and dining rooms flank the smaller hall, with entrances from the main hall.

Attic Plan

 

[Pg 48]

It is a Smoot family legend that Constantino Brumidi, the Italian immigrant who painted many of the murals in the U. S. Capitol in Washington, D.C., was given shelter by the Smoots, probably after the Civil War, when he was destitute. As a token of his gratitude, he decorated the ceilings of the living room and dining room with flowers and fruits. No trace of these paintings now exists. However, when the DuVals purchased Salona in 1952, there were clearly remains of paintings on the walls and ceilings. But the plaster was in such poor condition that it had to be completely replaced.

On the second floor, an upper hall, slightly smaller than the one below, runs across the north front. It may once have been an open "T" before modernization and the addition of two bathrooms by the DuVals. To the right from the head of the stairs is the master bedroom with a brick hearth and brick and wood mantel. The next bedroom, almost as large, also contains a brick and wood mantel. In the east wing, the hall leads directly into a den from which a stairway goes up to an attic bedroom and bath, both added by the DuVals. The den also serves as a passageway to a secondary hallway from which open two smaller bedrooms separated by another stairway leading to the first floor close to the kitchen. The unfinished portion of the attic is used for storage. There is a partial basement, primarily under the east wing.

No copy of the original floor plan has been found. Records of the Virginia Mutual Assurance Society in Richmond show that no fire insurance was ever purchased from them on Salona, hence no floor plan drawings are on file there. [133]

Because Maffitt died intestate, his estate was inventoried and appraised. As a result, we know that the original house contained a dining room furnished with a "set of three dining tables" and 24 Windsor chairs, which tends to support the tradition that the original dining room was in the west wing, possibly occupying the entire first floor of it. [134]

According to Smoot family legend, Salona was built entirely by slaves, who made the brick from clay on the property. These legends also claim that the woodwork was made by William Buckland who did the woodwork at Gunston Hall in 1758. This seems unlikely as William Buckland died in 1774. Smoot family legends also say [Pg 49] that the house was built by Maffitt, with construction starting in 1790 and ending in 1801, and that the wings were larger than the main house.

Although the DuVals found no remnants of a west wing foundation when they were doing extensive grading, there is visual evidence in the brick mortar that a doorway and a window existed in the west end of the main house. Moreover, architectural historians believe that the placement of the kitchen and summer kitchen testify to the west wing's existence. Furthermore, the Smoots agree that their older relatives stated that the Yankees destroyed the west wing which was never rebuilt.

West Wall of Salona

West wall, showing evidence of a former doorway opening.
Photo by the author, 1975.

Salona Entrance Way

Salona entrance hall. Photo by the author, 1975.

 


 

[Pg 50]

The Outbuildings

The old stone house was an enigma which fascinated the young Smoots. They report that the house was built around an oversized stone chimney in its center, with four fireplaces, two back-to-back on each floor. Downstairs was one big room, with a winding stairway at one end leading to the second floor where there were two rooms. Unfortunately the building was in such disrepair when the DuVals bought the property that they later had it razed in the interests of safety. It was located north and east of the mansion house and was referred to by one of the Smoots as "the trappers cabin."

The old stone spring house is still standing.

Stonehouse ruins
Stonehouse ruins

Stonehouse ruins, Salona.
Historic American Buildings Survey, Library of Congress, 1958.

Springhouse and barn

Springhouse and barn, Salona. Historic American Buildings Survey, Library of Congress, 1958.

 

[Pg 51]

Rear view main house

Rear view of the main house, Salona. Photo by the author, 1975.

 

Old foundation

Foundation ruins of the old barn, Salona.
Photo by the author, 1975.

View of rear wing

Rear view of the wing, Salona.
Photo by the author, 1975.

Smokehouse

Smokehouse, Salona. Photo by the author, 1975.

Smokehouse

[Pg 52] A number of early outbuildings are still in use at Salona. Close to the house on the south is the outdoor brick kitchen, used by the Smoots as a "summer kitchen," now by the DuVals as a guest house. Diagonally opposite the east wing is a former brick smoke house now used for storage. Farther to the southeast is a board and batten corncrib. Some distance farther east are the ruins of a large bank barn, whose thick stone foundations testify to its former size and sturdiness. At the west end of the house, some distance away, is an old three-hole brick privy, once approached through a grape arbor.

The DuVals have built a tennis court on a lower level of land on the east. [135]

Privy plan

The old brick privy, Salona.
Photo by the author, 1975.

Brick Privy
Outside kitchen

The outside brick kitchen, now a guest house, Salona.
Photo by the author, 1975.

Outside kitchen plan

[Pg 53]


 

VII
PRESERVATION BY EASEMENT

Because it was a "wonderfully sound, nice and comfortable, gracious old house" with many pleasant and historical associations and memories, the DuVals felt that Salona should be permanently preserved. [136] In 1971, a permanent historic and scenic easement and a temporary easement were drawn up by the DuVals, and signed on behalf of the Fairfax County Board of Supervisors by County Executive George Kelley. [137] (See appendix for full text of the document.)

Both easements were designed to assist the county's efforts to protect and maintain "the scenic, historic, and recreational values of land within the County." It also fitted in with the county government's stated purpose to shape the character, direction and timing of community development through the preservation of open space land. The permanent easement was also given "to protect in perpetuity the mansion known as 'Salona.'" It provides that "The mansion house known as 'Salona' as such structure exists at the date of the execution of this instrument, shall not be razed, demolished, moved or relocated until such action is approved by the Board of County Supervisors acting upon the advice of the Architectural Review Board ... or until such structure becomes uninhabitable or demolished through fire, storm or similar natural calamity."

Provision is also made for the protection of trees and shrubbery and various uses permitted under the permanent easement.

The permanent easement includes the eight acres surrounding the mansion; the temporary easement covers the remaining 44.3 acres.

[Pg 54]

On November 20, 1974, the deed of easement was amended, providing for the termination of the temporary easement only after January 1, 1990. The amendment was signed by the DuVals and Jean Packard, Chairman acting for the Fairfax County Board of Supervisors. [138]

Salona was placed on the Virginia Landmarks Register on June 19, 1973, [139] and on the National Register of Historic Places on July 24, 1973. [140]

Salona District Plan

 

[Pg 55]

Chapter I Notes
Langley and the Lees

[1] Fairfax Harrison, Landmarks of Old Prince William (Berryville, Va.: Reprint, Chesapeake Book Company, 1964), pp. 146-149.

[2] Gardner Cazenove Lee, Jr., Lee Chronicle (New York: New York University Press, 1957), pp. 5-6, 55-68; Beth Mitchell, Beginning at a White Oak: Patents and Northern Neck Grants of Fairfax County (Fairfax, Va.: Office of Comprehensive Planning, 1977), pp. 202-203.

[3] Harrison, Landmarks, p. 149.

[4] Lee, Chronicle, pp. 86-92; Edmund Jennings Lee, Lee of Virginia, 1642-1892 (Philadelphia: By the author, 1895), pp. 165-167; April 19, 1782, Report of Appraisement and Division of Philip Ludwell Lee's Estate, Westmoreland, Va.

[5] Trevor N. Dupuy and Gay M. Hammerman, People and Events of the American Revolution (New York: R. R. Bowker Co., 1974), p. 359; Virginia Dabney, Virginia, The New Dominion (New York: Doubleday, 1971), pp. 170-71.

[6] Lee, Chronicle, pp. 86-92.

[7] Fairfax County, Virginia, Deed Book, J-2, p. 84.

[8] Ibid., J-2, p. 245.

[9] Ludwell Lee Montague letter to Eleanor Lee Templeman, May 4, 1969. No documentation was given for this statement. Copy in working papers, Virginia Room, Fairfax County Central Library.

[10] Diane Rafuse, Maplewood (Fairfax, Va.: Office of Planning, 1970), Appendix D.

[11] Rafuse, Maplewood, pp. 56-62.

[12] Robert S. Gamble, Sully: The Biography of a House (Chantilly, Va.: The Sully Foundation, Ltd., 1973), p. 21.

[13] Melvin Steadman, Falls Church by Fence and Fireside (Falls Church, Va.: Falls Church Public Library, 1964), p. 509.

[Pg 56]

[14] Author's visit to El Nido Cemetery, off Old Dominion Drive, near McLean.

[15] Janice G. Artemel, A Preliminary Survey ofthe Literature on James Wren. Unpublished study. Falls Church, Va.

[16] Fairfax County real property tax books, 1790-1813. Virginia State Library, Archives Division.

[17] Alexandria Gazette, November 11, 18, 1811.


[Pg 57]

Chapter II Notes
Salona and the Maffitts

[18] Handwritten family tree, source unknown, in possession of Henry Mackall, Fairfax, Virginia; interviews with Peter Maffitt, direct descendant of William Maffitt, by the author.

[19] John H. Johns, History of the Rock Presbyterian Church of Cecil County, Md. (Oxford, Pa.: Oxford Press, 1872) p. 20; interviews with Peter Maffitt by the author.

[20] Princeton University, General Catalogue, 1767-1845. Peter Maffitt also investigated and reported that William had not attended the university. Founded in 1746 as the College of New Jersey, Princeton did not have a theological school, as such, until 1812. Because a persistent legend links Maffitt with South Carolina, the author checked his possible attendance at the College of Charleston, S.C. Surviving enrollment records beginning in 1790 (the college was founded in 1770) show no William Maffitt. Both the College of William and Mary and the University of Delaware reported no William Maffitt listed in any surviving records.

[21] An unsigned note from the Presbyterian Historical Society, 425 Lombard St., Philadelphia, Pa., to the author, dated December 30, 1976, states:

A check of the Presbytery of New Castle Minutes for the dates you cited, revealed mention of Maffitt's name but presented no biographical data. The 7 April 1795 minute referred only to his transfer from New Castle to Baltimore Presbytery and that he would reside in Alexandria.

[22] Letter from the University of Delaware to the author, April 4, 1977. Working papers, Virginia Room, Fairfax County Central Library.

[23] Note to the author from the Presbyterian Historical Society, December 30, 1976.

[Pg 58]

[24] Board of Trustees, Alexandria Academy, Minutes, April, 1795.

[25] Letter dated February 26, 1798, from George Washington to Dr. David Stuart. George Washington, The Writings of George Washington, 1749-1799, John C. Fitzpatrick, ed. (Washington, D.C.: United States Government Printing Office, 1941), Vol. 36, p. 170.

[26] Mary G. Powell, History of Old Alexandria, Va. (Richmond, Va.: William Byrd Press, 1928), p.155. According to A. J. Morrison in The Beginnings of Public Education in Virginia, 1776-1860 (Richmond, Va.: Virginia State Board of Education, 1917), while the Alexandria Academy was incorporated in 1786 with George Washington as one of the trustees, the school seemingly predated its incorporation.

[27] Alexandria Gazette, November 4, 1801.

[28] Board of Trustees, Alexandria Academy, Minutes, March, 1804.

[29] This is evident only through announcements in the Alexandria Gazette, and not in lodge records, although Maffitt's likeness, a Raphael Peale physiognotrace, is displayed in the Lodge 22 headquarters now located in the George Washington Masonic Memorial in Alexandria and is reproduced in this monograph. Lodge records list Maffitt in 1804 as chaplain, but no other records show even the dates of his initiation or transfer affiliation. F. L. Brockett, The Lodge of Washington (Alexandria, Va.: George E. French, c. 1875) wrote profiles of 34 members of the lodge as of 1814, but these do not include Maffitt. However, Brockett reported that in 1799 Maffitt's charity sermon brought in a collection of $74.52, and his sermon of 1805, $91.67. "Charity sermons were preached on St. John's Day, December 27, and the collection was used to assist the poor."

[30] Alexandria Gazette, December 24, 1799.

[31] The Reverend Thomas Davis, Rector of Christ Church, Alexandria, preached the funeral sermon at Mount Vernon. The Reverend James Muir, pastor of the Presbyterian Church of Alexandria, and Dr. Addison, an Episcopal clergyman from Maryland, also attended the service. Charles W. Stetson, Washington and His Neighbors (Richmond, Va.: Garrett & Massie, Inc., 1956), p. 298, quoting Tobias Lear.

[Pg 59]

[32] Presbyterian Church in the United States of America, Minutes of the General Assembly, 1798, p. 141. The preceding year, Maffitt was listed simply as "licentiate."

[33] Ibid., Minutes, 1800, p. 192. This year, and in succeeding years, Maffitt is listed as "without charge." He did, however, carry out various pastoral duties. In 1802, at the ordination of James Inglis in the Presbyterian Meeting House, Maffitt "concluded the services, after having exhorted the newly ordained pastor and the people of his charge, in a short but impressive address," according to the Alexandria Gazette of April 30, 1802.

In May, 1808, Maffitt was a commissioner to the general assembly of the Presbyterian Church at its meeting in Baltimore, along with Reverend James Inglis. He was late in arriving and "took his seat the 4th day of the sessions." The minutes of May 23 (p. 399) report that

The Reverend William Maffitt, of the Presbytery of Baltimore, appeared in the Assembly and stated that he had neglected to bring his commission. Two commissioners from the same Presbytery certified that Mr. Maffitt had been appointed by the Presbytery as commissioner to this Assembly. On motion: Resolved, that Mr. Maffitt be received as a member. And he accordingly took his seat.

[34] Letter to the author from Ruth B. Lee, librarian of the Historical Foundation of the Presbyterian and Reformed Church, Montreat, N.C., dated March 29, 1977:

As you will see the first reference to Mr. Maffitt is as a licentiate in Baltimore Presbytery. His only pastorate seems to have been in Bladensburg (later Hyattsville), and after this he is listed as being without charge. This means that he was not an active pastor in a church. He seems to have remained in Baltimore Presbytery, though of course he may have served outside the Presbytery at some time and still remained a member of that Presbytery.

[Pg 60]

I question whether he was actually ordained by Newcastle Presbytery, since the ordination usually took place when a man was installed as the pastor of a church. The licentiate is the candidate for the ministry who is licensed to preach but is not yet ordained.

Minutes for 1809 (p. 238) and 1814 (p. 184) show Maffitt "without charge." Minutes for 1824 list him in the Presbytery of the District of Columbia as "near Georgetown, D.C." again without charge. The present offices of the Presbytery of the District of Columbia have his death date as his only record in their files.

[35] Alexandria Gazette, January 30, 1800.

[36] Ibid.

[37] Ibid., February 10, 1800.

[38] Ibid., February 21, 1803.

[39] Alexandria Library Company, Minutes, 1801, 1802, 1803, 1804.

[40] Alexandria Gazette, May 7, 1803. Although this marriage was performed by the pastor of the Presbyterian Meeting house, it did not take place in the church and is not listed in the church records.

[41] Lee, Chronicle, p. 183.

[42] Ibid., pp. 182-3.

[43] Ibid., pp. 183, 273. Here is one of the sources of confusion, as Lee states on page 183 that Henrietta was "married secondly to the Rev. William Maffit (sic) of South Carolina."

[44] Ibid., p. 183.

[45] Fairfax County, Virginia, Will Book H, p. 55.

[46] Ibid., I, p. 413.

[47] Old Presbyterian Meeting House, Alexandria, Baptismal Records.

[48] Fairfax County, Virginia, Will Book J, p. 338.

[49] Ibid.

[Pg 61]

[50] Fairfax County Personal Property Tax Records, 1805.

[51] Fairfax County Census, 1810, #284.

[52] Fairfax County, Virginia, Will Books J, pp. 241, 338; K, p. 143; L, p. 294.

[53] Ibid., L, pp. 294, 302-3.

[54] Harrison, Landmarks; Lee, Chronicle.

[55] Fairfax County, Virginia, Will Book L, pp. 294, 298.

[56] Ibid., p. 304.

[57] Ibid., p. 305.

[58] Gamble, Sully, p. 50.

[59] Lee, Lee of Virginia, p. 468.

[60] McGroarty, Presbyterian Meeting House, p. 54, footnote.

[61] Letter from Ann Calvert (Stuart) Robinson to Elizabeth Collins Lee, October 19, 1806. Lee Family Papers, Section II, Richard Bland Lee, Virginia Historical Society.

[62] Alexandria Gazette, January 8, 1802.

[63] Unsigned, undated note (1977) from Sabine Hall to the author states that these dates are in a family Bible at the hall. No marriage dates were sent, although they had been requested.

[64] Robert Carter Randolph, The Carter Tree (Richmond, Va.: By the author, 1951), omits any mention of offspring of Ann's first marriage but does list William Maffitt, II, as the only child of her second marriage. However, the American Genealogical Research Institute, History of the Carter Family (Washington, D.C.: 1972) states that four children were born to Charles and Nancy Carter: John Hill who never married; Susan, who married the Rev. Thomas Balch, pastor of the New York Avenue Presbyterian Church; Mary Walker, who married Commodore Thomas ap Catesby Jones; and Elizabeth, who married Alfred Carter. Apparently the [Pg 62] Carter children, the young Turberville boys, and the Maffitts all lived together as one family after the Maffitt-Carter marriage.

Charles B. Carter was a cousin of Ann's, who owned "Richmond Hill" in Richmond County and "Mount Atlas" in Prince William. His grave is at Mount Atlas and the tombstone bears the dates 1766-1807.

[65] Young William grew up at Salona, received his M.D. from Columbian College, (later part of George Washington University), served in the Army Medical Corps, went to St. Louis, Missouri, in 1841, married Julie Chouteau, descendant of a founder of St. Louis, in 1843, and died there in 1864. It is interesting to note that of the seven members of his college class, he is the only one for whom the college does not have a full record.

[66] Alexandria Gazette, August 18, 1812.

[67] Allan C. Clark, Life and Letters of Dolly Madison, letter from Dolley Madison to her sister Lucy Todd, August 23, 1814.

[68] Ethel Stephens Arnett, Mrs. James Madison: The Incomparable Dolley (Greensboro, N.C., Piedmont Press, 1972), p. 238, 243; Dorothy Payne Todd Madison, Memoirs and Letters of Dolly Madison (Boston: Houghton Mifflin, c. 1886), p. 108.

[69] Clark, Letters, Madison to Todd, August 23, 1814.

[70] Ibid., August 24, 1814. The portrait was started by Gilbert Stuart and completed by an artist named Winstanley. A footnote on p. 184 quoted from Laura Carter Holloway Langford, Ladies of the White House states:

Half a century later, when the White House was undergoing a renovation, this portrait was sent, with many others subsequently added to this solitary collection, to be cleaned and the frame burnished. The artist found on examination that the canvas had never been cut, since the rusted tacks, time-worn frame, and the size compared with the original picture, was the most conclusive evidence that Mrs. Madison did not cut it out with a carving knife, as many traditions have industrially circulated.

[Pg 63] Matilda Lee Love was the daughter of Ludwell Lee of Belmont in Loudoun County, granddaughter of Richard Henry Lee, and niece of Harriotte Lee Turberville Maffitt. Her mother was Flora, sister of Matilda Lee.

According to Mrs. Love's memoirs in the Lee Chronicle:

Mr. Madison was a relation of my stepmother, Mrs. Lee, and was always very civil to us, and we dined and stayed at the President's several times. My father never would go there, as he opposed the Madisons to the day of his death ... I inherited from my mother, who was very wealthy, a farm near the little Falls of the Potomac, where we were to reside, and which I named Rokeby, after Scott's poem of that name, as Matilda was the heiress of Rokeby.

[71] Arnett, Mrs. James Madison, pp. 243-46; Lee, Chronicle, p. 291.

[72] Irving Brant, James Madison: Commander in Chief, 1812-1836, pp. 306-8. Brant's error regarding Maffitt's first name has been picked up by Walter Lord, Dawn's Early Light, p. 171: "James Madison ... and the rest of the presidential party rode to Salona, the home of the Reverend John Maffitt where Madison now expected to meet his wife," and by Alan Lloyd, The Scorching of Washington, p. 170: "Madison crossed the Potomac by ferry-boat, trekking into the adjacent hills toward the emergency rendezvous he had fixed with Carroll: Salona, the home of an ecclesiastical friend named John Maffitt."

When Alexandria historian Jean Elliot called Brant's attention to his error in Maffitt's first name, Brant replied to her on July 12, 1973: [Pg 64]

My research cards are all in the Library of Congress, so I have no way of knowing whether I was misled by some earlier writing or went wrong on my own, but the matter of accuracy can be settled by the law of probability. There is no chance whatever that two preachers named John and William Maffitt co-existed in the same little community, at precisely the same time, with abundant evidence of William's existence and none of John's, in the records you cite.

[73] Old Dominion Road (Drive) did not exist until the old trolley tracks were removed in the 20th century. In a letter to Mrs. Elizabeth Payne, Chairman of the Committee for the Marie Butler Leven Preserve, Brant wrote on March 9, 1972: "I am not certain about the road from Falls Church to Salona, whether it branched off from Kirby Road at the site of the Nelson-Patterson Mill."

[74] Brant, James Madison, pp. 307-9.

[75] "The Rambler," Sunday Star, August 2, 1914.

[76] Ibid.

[77] Lee, Chronicle, p. 291; Arnett, Mrs. James Madison, pp. 245-6.

[78] Fairfax County, Virginia, Personal Property Tax Books, 1812-1843. Microfilm, Virginia State Library, Archives Division.

[79] Lee, Chronicle, Matilda Lee Love, p. 292.

[80] Fairfax County, Virginia, Will Book I, p. 294. The graveyard no longer exists.

[81] Ibid.

[82] Letter from Harriotte Maffitt to George Turberville, July 13, 1819. Copy provided by Henry and Douglass Mackall from original in possession of George Turberville of Manassas.

[83] Letter from William C. Woodbridge (director of The Asylum) to the Reverend William Maffitt, September 21, 1820. Copy provided by Henry and Douglass Mackall from original in possession of George Turberville of Manassas.

[84] Franklin B. Gillespie, A Brief History of the Lewinsville Presbyterian Church, no date.

[85] Presbyterian Church in the United States, Minutes.

[Pg 65] [86] Fairfax County, Virginia, Will Book N-1, p. 49; Fairfax County, Virginia, Deed Book V-2, p. 85. Trudie Sundberg and John Gott point out in the 1971 Yearbook of the Historical Society of Fairfax County, Vol. 11, p. 5, that the church never received Miss Jones' four acres. Instead the property reverted to the estate of her mother, Lettice Turberville Jones, and was sold at auction with the rest of Lettice Jones' estate to pay off the creditors of Troilus Lewin Turberville, her brother. The present Lewinsville PresbyterianChurch stands on acreage given by the heirs of Dr. Mottrom Ball, who had married Martha Turberville,sister of Troilus and Lettice.


Chapter III Notes
Salona for Sale

[87] Fairfax County, Virginia, Deed Books V-2, page 85; Z-2, page 403.

[88] Letter from Ann B. Maffitt, dated July 22, 1828, to Col. George W. Hunter. Copy in Salona working papers, Virginia Room, Fairfax County public library. Manuscripts Division, Alderman Library, University of Virginia, Charlottesville, Virginia. Col. Hunter later served as administrator of the estate of Francis Lightfoot Lee of Sully.

[89] Fairfax County, Virginia, Will Books Q-1, page 271; V-2, page 85; Z-2, page 403. See appendix for inventories.

[90] Handwritten family tree, source unknown, in possession of Henry Mackall; Sarah Somervell Mackall, Early Days of Washington (Washington, D.C.: by the author, 1899).

[91] Fairfax County, Virginia, Deed Book C-3, page 314.

[92] Ibid., G-3, page 378.

[93] Fairfax County, Virginia, Deed Book J-3, page 262.

[94] Fairfax County, Virginia, Deed Book T-3, page 186.


[Pg 66]

Chapter IV Notes
Salona and the Smoots

[95] Harry Wright Newman, The Smoots of Maryland and Virginia (Washington, D.C.: by the author, 1936), pp. 1-2.

[96] Regina Combs Hammett, History of St. Mary's County, Maryland (Ridge, Md.: by the author, 1977), pp. 73, 85, 87, 96, 100, 235-6, 246, 285, 437.

[97] James Jarboe Papers, Manuscript Collection, Maryland Historical Society, Baltimore. Cited in Hammett, St. Mary's County, p. 100.

[98] Hammett, St. Mary's County, pp. 235-6, 246, 285.

[99] Margaret Brown Klapthor and Paul Dennis Brown, History of Charles County, Maryland (La Plata: Charles County Tercentennary Committee, 1958), pp. 52, 192.

[100] Interview with John D. K. Smoot, Arlington, Virginia, January 18, 1979, by Nan Netherton.

[101] Fairfax County, Virginia, Real and Personal Property Tax Assessments, 1854-1900. Virginia State Library, Archives Division.

[102] John Smoot interview, January 18, 1979.

[103] Fairfax County, Virginia, Personal Property Tax Book, 1860. Virginia State Library.

[104] Letter from Dr. Benjamin Franklin Cooling, U. S. Army Military History Institute, Carlisle Barracks, Pennsylvania, to Mrs. Ross D. Netherton, Fairfax, Virginia, December 5, 1978. Working papers for Salona, Virginia Room, Fairfax County Central Library.

[105] Evan Morrison Woodward, Our Campaign (Philadelphia: J. E. Potter Co., 1865); McLean Providence Journal, February 11, 1977. Although a number of accounts place Julia Ward Howe, wife of Dr. Samuel Gridley Howe, in the vicinity when she received the inspiration to write the words to "The Battle Hymn of the Republic", [Pg 67] the account of Mr. A. J. Bloor, assistant secretary of the U. S. Sanitary Commission gives a different version. He and Dr. Howe met Mrs. Howe and her party at Upton's Hill, near Seven Corners, where they observed preparations for General George McClellan's grand review of 70,000 troops. Her poem followed, written that night at the Willard Hotel in Washington. Florence Howe Hall, The Story of the Battle Hymn of the Republic (Freeport, N.Y.: Books for Libraries Press, reprint 1971), p. 62.

[106] Original memorandum in possession of Susan and Clive DuVal, II, Salona.

[107] Interviews with Smoot family members by the author; Fairfax County Ordinance of Secession, Lewinsville Precinct, #18, May 23, 1861. Fairfax County Courthouse, and copy, Virginia Room, Fairfax County Central Library.

[108] Interview with John D. K. Smoot, January 18, 1979; personal property tax assessments, 1868, 1869, Virginia State Library.

[109] Ibid.

[110] Personal Property Tax Book, 1881. Virginia State Library.

[111] Interviews with members of the Smoot family by the author.

[112] Fairfax County Office of Comprehensive Planning, Fairfax County in Virginia: Selections from Some Rare Sources (Fairfax, Va.: Office of Comprehensive Planning, 1974), pp. 126-127.

[113] Fairfax County, Virginia, Deed Book 635, p. 471; interviews with the Smoot family by the author.

[114] "The Rambler," The Sunday Star, August 2, 1914.

[115] Washington Star, May 20, 1932.

[116] Fairfax County, Virginia, Deed Book 635, p. 471.

[117] Interviews with Smoot family members by the author.

[118] Fairfax County, Virginia, Deed Book 1041, p. 123; 1097, p. 32; 1322, p. 453.


[Pg 68]

Chapter V Notes
Salona and the DuVals

[119] Fairfax County, Virginia, Deed Book 635,p. 471; interviews with Susan and Clive DuVal by the author.

[120] See Chapters II and IV; interviews with Clive and Susan DuVal by the author.

[121] Nan Netherton, Donald Sweig, Janice Artemel, Patricia Hickin and Patrick Reed, Fairfax County, Virginia: A History (Fairfax, Va.: Fairfax County Board of Supervisors, 1978), p. 546.

[122] Netherton, et al., Fairfax County, p. 659; interview with Clive and Susan DuVal, January 11, 1979, by Nan Netherton; DuVal family scrapbooks, Volumes I-VII, 1944-1978, Salona.

[123] McLean Providence Journal, April 29, 1960; Washington Post, April 23, 1961; Fairfax County Sun-Echo, January 15, 1965; Washington Star, March 18, 1965; Fairfax County Free Press Newspapers, September 29, 1966; Globe, May 14, 1970; Semi-Annual meeting program, November 14, 1976; DuVal family scrapbooks, 1961 and 1963, Salona.

[124] Virginia General Assembly, Register of the General Assembly from 1619-1976 (Richmond, Va.: Virginia General Assembly, 1978).

[125] Commonwealth of Virginia, Manual of the Senate and House of Delegates (Richmond, Va.: Department of Purchasing and Supply, 1978).

[126] Program, National Wildlife Federation award ceremony, March 7, 1970, DuVal family scrapbook, Salona.

[127] Fairfax County, Virginia, Deed Book 3418, p. 686.

[128] Fairfax County, Virginia, Deed Book 4159, p. 436.


[Pg 69]

Chapter VI Notes
Salona: The House and Outbuildings

[129] National Park Service and Fairfax County Park Authority.

[130] Stated in Works Projects Administration, Writers' Program, Virginia, a Guide to the Old Dominion (Oxford University Press, New York, 1941), p. 525.

[131] Interviews between the author, Jane Wilson Smoot and William Smoot; Alexandria Gazette, November 11, 1811.

[132] Interview with Clive and Susan DuVal. January 5, 1979.

[133] Virginia Mutual Assurance Society records, Virginia State Library, Richmond, Virginia.

[134] Fairfax County, Virginia, Will Book Q-1, p. 241. Also see appendix.

[135] Interviews with the DuVals and the Smoots.


[Pg 70]

Chapter VII Notes
Preservation by Easement

[136] Interview with Clive and Susan DuVal, January 5, 1979, by Nan Netherton, at Salona.

[137] Deed of Easement, Fairfax County, Virginia, Deed Book 3418, p. 686, March 24, 1971.

[138] Amending Deed of Easement, Fairfax County, Virginia, Deed Book 4159, p. 436, November 20, 1974.

[139] Virginia State Landmarks Register, Landmarks Commission, Richmond, Virginia.

[140] National Register of Historic Places, U. S. Department of the Interior, Washington, D.C.


 

[Pg 71]

APPENDIX A

SALONA
CHAIN OF TITLE

4 August 1719     Northern Neck grant to Thomas Lee for 2862 acres above the falls of Potowmack River, two miles above first or lower falls. Northern Neck Grant Book 5:240.
   
22 February 1749     Thomas Lee devised to Philip Ludwell Lee. Will was probated 30 July 1751 in Westmoreland County.
   
19 April 1782 Philip Ludwell Lee to Matilda Lee. Tract was divided, Westmoreland.
   
10 August 1790 Henry Lee, Sr. (III) and Matilda (Lee) Lee conveyed to Henry Lee, Jr. (IV). Deed on record in office of General Court of Commonwealth.
   
7 June 1808 Henry Lee, Sr. and Henry Lee, Jr., both of Westmoreland County, sold for $25,000 to Richard Bland Lee of Fairfax County all of that tract called Langley Farm containing 1600 acres. Fairfax County Deeds J2:84.
   
18 July 1808 Richard Bland Lee and Elizabeth his wife of Fairfax County sold to William Maffitt who was to reconvey to Elizabeth Lee. The deed was for 300 acres—all of tract of a farm lying on the south or southeast side of the road leading from the town of Turberville to the Little Falls of the Potomac, "now in occupation of T. C. Scott," commonly called Langley Farm. Fairfax County Deeds J2:18.
   
19 July 1808[Pg 72] William Maffitt conveyed to Elizabeth Lee—300 acres. Fairfax County Deeds J2:6.
   
9 January 1809 Richard Bland Lee of Sully and Elizabeth his wife mortgaged two tracts of land: 529 acres of Sully and 1600 acres of tract called Langley Farm. Lee was indebted to Bushrod Washington of Mount Vernon by bond dated 9 January 1809 for $10,034.28 which was due 1 March 1814. The land was conveyed to Henry Smith Turner, Jefferson County, Thomas Blackburn of Fairfax County and Bushrod Washington, Jr. of Westmoreland County, to hold in trust for use of Lee in case note not paid. Fairfax County Deeds J2:245.
   
10 May 1811 Richard Bland Lee and Elizabeth his wife of Alexandria sold to William Herbert for $6,987.85 (total of three judgments, interests and costs obtained by William Herbert against Richard Bland Lee). Bushrod Washington and Bushrod Washington, Jr. gave release. The tract was 466 acres on south side of Little Falls Road. Fairfax County Deeds L2:177.
   
10 March 1812 William Herbert and Sarah his wife sold for $6,058 to William Maffitt—466 acres. (Deed is dated 10 March 1810, but the release by Sarah Herbert refers to deed of 10 March 1812.) Fairfax County Deeds L2:368.
   
10 March 1812[Pg 73] Richard Bland Lee of Alexandria and Elizabeth his wife sold for $420 to William Maffitt of Fairfax County—42 acres on south side main road leading from the town of Turberville to Little Falls of Potomack adjacent to 466 acre tract sold by Lee to William Herbert. Fairfax County Deeds L2:416.
   
1 November 1823 William Maffitt mortgaged to his sister, Margaret Whann, of George Town, D.C. tract called Salona "on which William Maffitt now resides." Maffitt was indebted to Whann for $6,000. Fairfax County Deeds V2:85.
   
20 July 1831 Thomas Moss, Commissioner under decree of Fairfax County Court conveyed to Margaret Whann of George Town, D.C. William Maffitt had mortgaged Salona. He died intestate and had not paid debt. Whann brought suit against heirs of Maffitt (in Chancery) for sum $3,716. At sale 18 April 1831 Salona was sold to James McVean, agent for Margaret Whann for $2,650, the highest bid made. Fairfax County Deeds Z2:403.
   
29 July 1835 Ann B. Maffitt, widow of William Maffitt, Revd. Reubin Post and Harriett his wife, Ann. L. Maffitt and William Maffitt, the only children and heirs at law of William Maffitt sold to Margaret Whann the right of dower of Ann B. Maffitt and interest of children in Salona and smaller tract adjoining thereto. Fairfax County Deeds C3:314.
   
7 June 1842[Pg 74] Margaret Whann of George Town sold for $7,500 to Chapman Lee of Alexandria—all of Salona on south side Little Falls Road and 42 acres of adjoining tract. Fairfax County Deeds G3:378.
   
17 May 1845 James McVean of George Town in D.C. (survivor of Samuel M. Whann), party of the first part; Chapman Lee of Fairfax County and Laura E. his wife of the second part; and Elisha Sherman, late of Fairfield County, Connecticut of the third part. On 8 June 1842 in order to secure sum of $4,500 plus accruing interest owed by Chapman Lee to Margaret Whann, Lee conveyed to James McVean and Samuel M. Whann (since deceased) tract called Salona containing 506 acres more or less. Lee sold 208 acres to Sherman for $5,421 and proposed to pay $2,079 to McVean and receive himself $921 and leave sum of $2421 as lien on land sold to Sherman. Fairfax County Deeds J3:262.
   
1 July 1853 Elisha Sherman and Anna his wife, late of Fairfax County and "now of Washington County, D.C." sold for $10,000 to Jacob G. Smoot of Georgetown tract heretofore called Langley but now called Salona—208 acres 2 rods. Fairfax County Deeds T3:186.
   
28 June 1948[Pg 75] Deed of Partition of land of Jacob G. Smoot known as the Smoot farm—208 acres. Jacob G. Smoot died intestate. He was survived by his four children: William S. Smoot, Helen M. Smoot, Harriet E. Smoot and Catherine C. Smoot, and by his widow, Harriet C. Smoot.

William S. Smoot died testate devising his one-fourth interest to Jennie K. Smoot who died intestate leaving as her only heirs at law three children: John D. K. Smoot, Calder G. Smoot and William S. Smoot, Jr.

Helen M. Smoot, Harriet E. Smoot and Catherine C. Smoot died unmarried and intestate leaving their three-fourths interests to heirs at law, their three nephews, John D. K. Smoot, Calder G. Smoot and William S. Smoot, Jr.

John D. K. Smoot died intestate survived by widow and three children, his only heirs at law: Julia B. Smoot, widow, Jane Smoot Wilson, John D. K. Smoot, Jr. and Henry B. Smoot.

William S. Smoot, Jr. died leaving widow and two children: Elizabeth J. Smoot, widow and William S. Smoot III and John J. Smoot.

The Smoot farm was divided in three parts: to Calder G. Smoot and to the heirs of John D. K. Smoot and William S. Smoot, Jr. Fairfax County Deeds 635:471.
   
6 January 1953 John D. K. Smoot, Jr. and Wilma his wife; Jane Smoot Wilson and Nelson B. her husband; Henry B. Smoot, unmarried; William S. Smoot III and Nancy W. his wife; and John J. Smoot and Patricia his wife sold to Clive L. DuVal II and Susan B. his wife 26.846 acres, part of Lot #2 in partition which was allocated to Calder G. Smoot who died unmarried and intestate leaving sole heirs at law and next of kin four nephews and one niece, named above. Fairfax County Deeds 1041:123.
   
24 July 1953[Pg 76] William Smoot, Nancy Smoot, John Smoot, Patricia Smoot, Elizabeth Smoot deeded 11.305 acres to Clive and Susan DuVal. Fairfax County Deeds 1097:32.
   
20 June 1955 John D. K. Smoot, Jr., Wilma Smoot, Jane Smoot Wilson, Nelson Wilson, Henry Smoot, Dolores Smoot, William Smoot, Nancy Smoot, John Smoot and Patricia Smoot deeded 17.6351 acres to Clive and Susan DuVal. Fairfax County Deeds 1322:453.
   
1 September 1955 Deed of Release. Fairfax County Deed Book 1351, p. 150.
   
24 March 1971 Permanent easement on eight acres, temporary easement for at least ten years on 44.3 acres from Susan and Clive DuVal to the Fairfax County Board of Supervisors, signed by George Kelley, County Executive. Fairfax County Deed Book 3418, p. 686.
   
20 November 1974  Amendment to deed of easement by Susan and Clive DuVal to provide for termination of the temporary easement only after January 1, 1990. Fairfax County Deed Book 4159, p. 436.

 


 

[Pg 77]

APPENDIX B

FAIRFAX COUNTY WILL BOOK Q-1, p. 271
March 21st 1832

Inventory and Appraisement of the personal Estate
of Wm. Maffitt decd. to wit

1 Bay horse $20  1 do $60 &
 1 do $25
$ 105         3 sets plough Gear $ 4.50
1 Carriage and Harness 100         2 new Cart Wheels 20"   
Colt, old iron $2 6 axes $2.50 4.50   1 Iron plough 5"   
5 Shovels .75c, 4 brier scythes $1 1.75   2 Shovel ploughs 2"   
9 swingletrees $1.50 6 coulters 3.50   1 bar Shear plough 3"   
3 mattaxs $1.50 6 broad hoes 75¢ 2.25   2 old broken ploughs 1"   
1 Cutting Box patent 15.00   3 Harrows 6"   
Carpenters Tools 3"      2 Iron Mould boards .50
Copper boiler 5"      1 double Swingletree .75
3 wedges & shares $1.50
 4 hay forks 1.25
2.75   1 cart $6 - 1 broken
    do. $3
9"   
Corn at $2 per bar (30) barrels 60"      1 Grind Stone .50
33 old Barrels 3"      Ox Chain $1 fodderhouse
   $8
9"   
4 Scythes & Sheathes $1 4 hooks
 75¢
1.75   1 Wheel and pair Shakes 2"   
Grain Box 1.50   Orchard Grass and rye
   Straw
        2"   
Old Sleigh Irons 2.50       Carried forward $379.75
       
          Amt. brot forward $379.75
2 Ox Yokes 1"      2 Oats $9 - 3 stacks of
   hay $50
59"   
2 Wheel Barrows 2"      5 Cotton Counterpanes $ 10.00
28 hogs $74 - 19 Pigs $9.50 $ 83.50   6 do   do 4"   
3 Breeding Sows 4.50   5 Coloured ditto 3"   
1 Pair of Oxen (large) 25"      3 Trunks and Chests 1.50
1 do   do (Small) 12"      24 Windsor chairs 6"   
[Pg 78] Red buffalo Cow 10"      Set dining Tables 3 18"   
Cow and Calf 7"      one Large Table 5"   
1 Spotted Cow Small horns 8"      1 Small round Table and
    4 Waiters
5"   
1  do   Sawed horns 5"      Candle Stand 2"   
1  do   red Sides 8"      Writing Desk 2"   
2 Calves $3 - 1 Bull $6 9"      Sideboard 20"   
58 sheep at $1.25 72.50   2 Spoon and knife cases 6"   
65 Locust Posts @ 12¢ 8.12½   6 different maps 4.50
4 pieces of old Carpeting 4"      Andirons, Shovel, Tongs,
   Fender
8"   
one Rug 2"      4 Candlesticks and oil
   Lamp
3"   
No. 1 Bed Mattrass Curtain
 bedstead, bolsters, and piller
20"      
  2 knife Boxes
1"   
No. 2 Bed, Mattrass, bolster,
 piller and Stead
20"      1 Small Table (long and
   Square)
1"   
No. 3 do as above 15"      1 Bedstead, pillow and
   bolster
18"   
Andirons, fender and Tongs 5"      30 Diaper Towels 2.50
Washstand bowl and pitcher 1"      8 pillow cases 1.50
Toilet Table Glass and 3 chairs 2.25   10 Tongs $1.50 1 Small
   Table 75¢
2.25
Trunnel bedstead with two
  mattrasses & two bolsters
5"      1 Desk and bookcase 25"
1 Bedstead 2"      One Bureau and book Case 20"   
Trunnel bedstead, Mattrasses, 4
 pillows and 4 bolsters
10"      pr. Andions Tongs and poker 2.50
No. 4 Bed, Mattrass & furniture 20"      one doz: small Tea plates 2"
No. 5  do  do 1st Room 20"      3 dozen Small plates 4.50
Fender, Tongs and A:Irons 2.50   1 "  deep plates 1.50
Tallo and Bucket .75   Fruit Dishes 1.50
9 pr. Blankets 25"      1 large Turien .50
      1 doz: Custard Cups .50
      Turien (2 Sets) 1.50
[Pg 79] Urn $ 1.50   20 Cider barrels $ 5"   
one dozen Custard Cups 14   6 Jugs 1.50
3 Tea Canisters and tin bucket 1.25   9 Demijohns 9"   
8 Stone jars 2"      11 pewter Candle moulds 1.75
1 Small and large barrels 25   Kitchen Stove 20"   
½ bushel Measure 12½   2 Barrels of bottles at
   3 cts. each
2.88
Coffee Mill and Saddle bags 1.25   old boxes, Jugs, etc. .25
1 pr. Andirons in Kitchen 4"       2 basons and 2 Dishes
   /pewter/
2"   
Gridiron and Tea kettle 1.50   1 Churn and Tray .50
4 Iron pots $6—2 spits $1.
 2 ovens $2
9"      3 Jars and pail .75
2 Spiders $1.25 Frying pan 50c 1.75   1 Table 25¢—1 large
   pot $2
2.25
1 Brass Skillet 3"      2 Small pans .37½
Ladle and forks .12½   1 Safe 2"   
Sifter .25   one large iron pot 2.50
1 doz: Small knives and forks 1.50   2 ovens 75¢ 2 Smoothing
   Irons 75¢
1.50
1 do Large 6"      2 Tubs 12½¢ Carpet
   irons $1
1.12½
Pewter plates, Tin and Tubs 5"      pr. Scales 2"   
Spice mortar 1"      Saddle and bridle 2"   
4 candlesticks, candle box 1"      pr. Steelyards 2"   
3 Decanters, 3 Glass pitchers 3.50   lot of Wool at 20¢ per
   8"
16.80
Coffee pot .25   Looking Glass No. 1 6"   
one doz: Wine Glasses No. 1 1.75   do   do No. 2 6"   
9 do  do .75   Crop of Turnips 13 cts
   per bushel
10"   
9 Cordial Glasses 1"      Pide Cow and Calf 12"   
6 Salt Glasses .75   Gold Watch, Seal and key 50"   
11 Jelly Glasses 1"      Writing Desk 1"   
[Pg 80] 1 broken Caster 2"      2 Ink Stands .39
1 Large pitcher 1"      One Globe .20
1 Large bowl .50    
12 Table mats 1"                        
2 china bowls .12½   $1588.89½
1 pr. Andirons .25   ========
1 Large Carpet 30"       
1 Table 1.50    

 

[Pg 81]

APPENDIX C

FAIRFAX COUNTY WILL BOOK Q-1, p. 274

Appraisement of Dower Negroes belonging to
William Maffitt's Estate

Names Dower Appt Real Value Age  Notable marks
             
1st lot Dick etc $ 0   $ 0   70  
Cato and Reid 10 " 350 " 48, 27  Reid cut over right thumb
2nd lot 1st Willis 100 " 350 " 23  Willis scar on right hand
2nd Jonathon 100 " 350 " 23  Scar on left thumb
4. Polly & Child
  Mathew
25 " 300 " 21  Child 8 months
5. Allens 100 " 300 " 19  scar on right Wrist
6. Betty 25 " 200 " 12  a burn on right hand
7. Wait 50 " 200 " 12  
8. Cyntha 25 " 150 " 9  
9. Edmund 15 " 120 " 6  
2n lot Dianah
 Catharine & Child
  " 400 "    
3rd lot Bob & family
  2 Abby & child Honey
  " 300 "    Bob bald head
3rd Shirley 100 " 350 "    
4: Jonathon 100 " 350 " 23  
5. Alcey 25 " 250 "    
6. Robert 75 " 300 "  
7. Beverley 50 " 250 "  
4th lot Kitty & child
 Mary, Ozekial &
 Thornton
 
blank
 
"
 
450
 
"
   
 Kitty scar on right
 cheek
Jenney 100 " 350 "  
5th lot John's
 family
100 " 300 "    John
Matilda 100 " 300 "  
Aleck " "  
Fanny " "  
Ellen blank " 500 "  
Nancy 25 " 275  
James 75 " 300 "  
Armistead & Talbot
 
 
40
 
 
"
 
 
300
 
 
"
 
 
   Armistead hand burnt
 arm useless
 and one Eye out
[Pg 82] Milly 25   175      
Harry & wife 100   300   43
Scylla Sam Mary     350   38
Joe
 
75
 
  300
 
     16 Schlla, Sam an
 infant, Mina
Willis 50   200   12  
Heny 40   150   10  
Sam an infant         8  
Robins Family            
Robin his wife
 Marjory
100   250   50  Single lot
      350
 
  40
 
 Marjory, Julia and
 Momy $350
Eliza and children     200   28  
Wm 3 yrs: Mary     20      2nd lot Eliza Wm
  Mary James $400
James an Infant         10  real Value
Molly & Child
 Richard
10   300      
Robin         18  
Juay 25   150   14  
Susan 40   200   10  
Sampson 40   200   8  
Jane 20   150   7  
Julia         3  
Naris         2  
Anderson's Family            
Anderson 100   300   48  
Alcey, his Wife 35   150   40  
Ranald 75   300   16  
Andrew 75   300   14  
Edward 50   200   12  
     Single            
Ozekial, a boy 50   200   13  
Winny         45  
Betsy Martha 30   350   8-4  
[Pg 83] Ellen and Child
Lucy and Scylla
blank   350   27  
Sara, Lewis $ blank   500   5  
7th lot, Lewis,
a Lad
100   350   19

 Lewis has a Scar in the
 bend of the right
  arm
Sandy 50   250   8  
Philip old 75   150   48
 Philip on the fingers
 of the right hand
Booter 100   400   29

 Booter a Scar on fae
 finger 1st joint on
 the left hand
8th Lot            
 Willy and child
  Mima
blank   300   20  
9th lot old Lucy &
husband Toby
125   400   27  
10th Lot
 Martha
25   75   45  
Griffen 100   350   33  

 

In obedience to an order of the County Court of Fairfax hereto annexed and the appraisers therein named have inventoried and appraised all and Singular the goods & chattles of William Maffitt decd. that were presented to our view by the admr as herein before Stated Given under our hands decr. 1828

 

Richd. Darne

William Swink

Joseph Sewell

 

At A Court Continued and held for Fairfax County the 21st day of March 1832

This Inventory and Appraisement of the Estate of William Maffitt decd. was returned and ordered to be recorded

Teste Wm. Moss

 

[Pg 84]

APPENDIX D

Fairfax County Deed Book
3418, pages 686-697

DEED OF EASEMENT

THIS DEED, made this 24th day of March, 1971, by and between Clive L. DuVal, 2nd and Susan B. DuVal, his wife, parties of the first part, hereinafter called the grantor, and the County of Fairfax, Virginia, party of the second part, hereinafter called County;

WHEREAS, the County has an interest in protecting and maintaining the scenic, historic and recreational value of land within the County and;

WHEREAS, the County also has a desire to shape the character, direction and timing of community development through the preservation of "open space" land and;

WHEREAS, the governing body of the County has determined that the acceptance of the conveyance of certain interests in land less than the fee will assist in accomplishing these above stated objectives, and;

WHEREAS, the grantor is the owner in fee simple of three certain parcels of land situate in Fairfax County, Virginia, containing in the aggregate 52.40897 acres of ground and being shown on the Tax Map of Fairfax County on Sheet 30-2, Double Circle One, Parcel 40, and Sheet 30-2, Double Circle One, Parcel 41, and Sheet 30-2, Double Circle One, Parcel 46A, having acquired said property by deeds recorded in Deed Book 1097 at Page 32, Deed Book 1041 at Page 123, Deed Book 1322 at Page 456, and Deed Book 1322 at Page 453, of the land records of the County of Fairfax; and

WHEREAS, the grantor desires to join in and participate in the maintenance of the character of the land described herein as open space land with scenic, historical and recreational value and to protect in perpetuity the mansion known as "Salona".

[Pg 85]

NOW, THEREFORE THIS DEED OF EASEMENT WITNESSETH THAT for and in consideration of the foregoing provisions and of the following terms and conditions, grantor does hereby grant and convey unto the County two separate easements, one a perpetual or permanent easement and one a temporary easement for at least a ten year period, both hereinafter described, over and applicable to portions of the land heretofore described, and further, grantor does hereby covenant that he will in each particular abide by the terms and conditions hereof and will execute such further assurances and/or do such other things as may reasonably be necessary to ensure that any successor in interest to the land herein described will also abide by the terms and conditions of these easements as hereinafter set out.

These easements are expressly covenanted by the grantor to run with the land and are not personal to him, and shall be binding upon any and all successors in interest to all or any part of the interests in the land herein described which may be now held or hereafter acquired by the grantor.

There shall be made no use of the land herein described save and except in accord with the terms and conditions of these easements, and no structure shall be erected thereon or vegetation destroyed or altered, except in accord with these said terms and conditions, provided, however, that these terms and conditions may be amended at any time by an instrument signed by the grantor or his successor in interest and by the County and recorded among the land records of
the said County.

I. Terms and conditions of the Permanent Easement
(Easement in Perpetuity)

A. Uses permitted under the permanent easement shall be:

1. Agriculture, including the tilling of soil, raising of crops, raising of livestock and poultry, and the maintenance and operation of dairies, mills, hatcheries, and/or other processing operations serving and required by the crops and/or livestock or poultry grown or raised upon the land described herein only.

[Pg 86]

2. Nurseries, greenhouses, forestry, and horticultural enterprises, and the sale of the products of such uses, limited to sale of products grown on the land described herein.

3. Water conservation, water supply, flood and drainage control, and impounding facilities.

4. The single family dwelling, known as the "Salona" mansion and outbuildings and facilities, appurtenant thereto, whether or not occupied by grantor. Professional practice or medicine, dentistry, law, real estate or insurance sales, architecture, art or music instruction, engineering or land surveying, by an actual bona-fide resident of such dwelling is permitted.

B. Uses, structures and acts expressly prohibited:

1. No building or other structure under the permanent easement shall hereafter be erected or allowed to remain upon the land herein described, provided that buildings and structures existing at the date of execution hereof, and additions thereto which do not increase grade level floor area by more than one hundred percent shall be permitted, and that small outbuildings and recreational facilities, including a swimming pool, may be constructed not closer than 200 feet to the mansion house known as "Salona".

2. The mansion house known as "Salona" as such structure exists at the date of the execution of this instrument, shall not be razed, demolished, moved or relocated until such action is approved by the Board of County Supervisors acting upon the advice of the Architectural Review Board as provided for in Section 30-2A.2 of the Code of Fairfax County or until such structure becomes uninhabitable or demolished through fire, storm or similar natural calamity.

[Pg 87]

3. No commercial or industrial use shall be commenced or allowed to continue, unless expressly permitted in (A) above or in any duly executed and recorded amendment hereof.

4. No sign, billboard, or other display shall be erected or allowed to remain on the property described herein, provided, that one sign of a size not greater than 25 square feet advertising the sale of the property or the products or activities available thereon may be erected.

5. No major grading or topographic change shall be accomplished except by express permission, in writing, from the Director of County Development of Fairfax County, or the successor to his duties. Such permission shall only be granted in accordance with a grading plan prepared by or at the direction of the grantor or his successor in interest and approved by Fairfax County. Major grading shall be deemed to mean any grading performed by machine, other than hand-operated machines.

6. No trees or shrubbery over 8 inches in diameter measured 5 feet above ground shall be cut down or removed except by express permission, in writing, from the Director of County Development of Fairfax County, or the successor to his duties, provided, however, that management of existing trees, shrubs or other vegetation, including trimming and removal, may be accomplished in accord with accepted professional practice at the time such work is performed, without such permission.

II. Terms and conditions of the temporary easement.

A. Uses permitted under the temporary easement shall be:

1. Agriculture, including the tilling of soil, raising of crops, raising of livestock and poultry, and the maintenance and operation of dairies, mills, hatcheries, and/or other processing operations serving and required by the crops and/or livestock or poultry grown or raised upon the land described herein only.

[Pg 88]

2. Nurseries, greenhouses, forestry, and horticultural enterprises, and the sale of the products of such uses, limited, however, to sale of products grown on the land described herein.

3. Recreation, including, but not limited to, camping, picnicking, boating, fishing, swimming, horseback riding, golf courses (excluding miniature golf), driving ranges, and other similar outdoor activities, whether operated commercially or privately.

4. Water conservation, water supply, flood and drainage control, and impoundment facilities.

5. Three single family dwellings not more than 40 feet in height and related outbuildings, facilities and access roads, whether or not occupied by grantor, on lots of not less than one acre, including such grading and removal of trees and shrubbery as may be desirable or necessary in connection therewith. Professional practice of medicine, dentistry, law, real estate or insurance sales, architecture, art or music instruction, engineering or land surveying, by an actual bona-fide resident of such dwelling is permitted.

B. Uses, structures and acts under the temporary easement expressly prohibited:

1. No building or other structure, except as permitted in Paragraph IIA5 above, shall hereafter be erected or allowed to remain upon the land herein described, provided that buildings and structures existing at the date of execution hereof, and additions thereto which do not increase grade level floor area by more than one hundred percent shall be permitted.

2. No commercial or industrial use shall be commenced or allowed to continue, unless expressly permitted in (A) above or in any duly executed and recorded amendment hereof.

[Pg 89]

3. No sign, billboard, or other display shall be erected or allowed to remain on the property described herein, provided, that one sign of a size not greater than 25 square feet advertising the sale of the property or the products or activities available thereon may be erected adjacent to each separate public street upon which the land described herein has frontage.

4. No major grading or topographic change shall be accomplished except by express permission, in writing, from the Director of County Development of Fairfax County, or the successor to his duties. Such permission shall only be granted by reference to a grading plan prepared by or at the direction of the grantor or his successor in interest. Major grading shall be deemed to mean any grading performed by machine, other than hand-operated machines.

5. No trees or shrubbery over 8 inches in diameter measured 5 feet above ground shall be cut down or removed except by express permission, in writing, from the Director of County Development of Fairfax County, or the successor to his duties, provided, however, that management of existing trees, shrubs or other vegetation, including trimming and removal, may be accomplished in accord with accepted professional practice at the time such work is performed, without such permission.

III. Description of Easements Conveyed

1. The land subject to the rights and restrictions imposed herein for perpetuity (permanent easement) is described as follows: 8.09917 acres in and around the mansion house, "Salona", being a portion of the 52.40897 acres heretofore mentioned and more particularly described in a survey by Northern Virginia Survey as follows:

Beginning at an iron pipe marking the Southeast corner of Lot 9, Section 4, Salona Village, said point of beginning being in the North Right of Way line of Sothron Street; [Pg 90] thence through the land of DuVal. N. 74° 46' 20" E. 630.00 feet to a point; thence S. 15° 13' 40" E. 560.00 feet to a point; thence S. 74° 46' 20" W. 630.00 feet to a point in the East line of lot 10; thence with the East line of lot 10, and continuing through the land of DuVal, N. 15° 13' 40" W. 560.00 feet to the point and place of beginning containing 8.09917 acres of land.

2. The land subject to the rights and restrictions imposed hereby for a period of at least ten (10) years (temporary easement) is described as follows: 44.30980 acres of the approximately 52 acres of land heretofore mentioned more particularly described in a survey by Northern Virginia Surveys as follows:

Beginning at a point marking the Intersection of the West line of Buchanan Street (50' Right of Way) and the South line of Sothron Street (50' Right of Way); thence with the South line of Sothron Street N. 70° 02' 30" E. 25.00 feet to a point; thence with the West line of Salona Village, section 6, S. 19° 57' 30" E. 1728.67 feet to a point; thence with the North line of Salona Village, section 8, N. 53° 30' 40" W. 499.41 feet to a point; thence S. 75° 00' 00" W. 320.00 feet to a point; thence N. 77° 35' 20" W. 11.81 feet to a point; thence with the land of Goralski N. 7° 35' 20" W. 267.78 feet to a point; thence S. 82° 24' 40" W. 186.24 feet to a point; thence S. 7° 35' 20" E. 200.00 feet; thence continuing with the North line of Salona Village, section 8, S. 82° 24' 40" W. 276.00 feet to a point; thence with the East lines of Salona Village, section 4, N. 15° 13' 40" W. 758.50 feet to a point; thence S. 74° 46' 20" W. 200.00 feet to a point; [Pg 91] thence N. 15° 13' 40" W. 444.90 feet to a point; thence N. 74° 46' 20" E. 200.00 feet to a point; thence N. 15° 13' 40" W. 976.54 feet to a point; thence with the South line of Dolly Madison Blvd. (Rt. 123) N. 70° 33' 40" E. 722.74 feet to a concrete Right of Way monument; thence N. 76° 19' 10" E. 100.70 feet to a concrete Right of Way monument; thence S. 53° 23' 00" E. 25.79 feet to a point; thence with the West line of Buchanan Street, S. 19° 57' 30" E. 1021.16 feet to the point and place of beginning containing 52.40897 acres of land.

Excepting therefrom all that piece of property more particularly described above as the land subject to the "permanent easement" containing 8.09917 acres of land.

IV. Termination of the rights, title, and interest of the County in the land herein described, acquired under the provisions of the temporary easement shall occur under, and only under, one of the following provisions:

1. By deed of release and vacation of this easement executed by the County, accepted by grantor or his successor in interest, and recorded as provided by law.

2. Immediately upon the filing by the County, or by any other body, public or private, or a condemnation action seeking property rights in the land described herein or any part thereof.

3. Ninety days after the date of death of a grantor.

4. Ten years from the date of this instrument; provided, however, that the temporary easement shall continue thereafter unless otherwise terminated as set out above or unless and until terminated by either party by the service upon the other party by certified mail of a written [Pg 92] 90 day notice of termination to be effected by the recordation among the land records of Fairfax County of a properly executed deed of release and vacation of said temporary easement which stipulates that the above mentioned 90-day notice had been sent as required.

V. Termination of the rights, title and interest of  the County in the land herein described acquired  under the provisions of the permanent easement  shall occur, and only under, the following provisions:

1. By deed of release and vacation of this easement executed by the County, accepted by grantor or his successor in interest, and recorded as provided by law.

2. Immediately upon the filing by the County, or by any other body, public or private, of a condemnation action seeking property rights in the land described herein or any part thereof.

VI.  Future Density Determination

If at any time the temporary easement is terminated as set out above and the 8.09917 acres subject to the permanent easement is included in any Deed of Subdivision and Dedication for the development of the 44.30980 acres previously subject to the temporary easement, the County of Fairfax, by its acceptance of this Deed of Easement agrees to include acreage of the permanent easement in the computation of the density to be permitted in the development of the acreage previously subject to the temporary easement.

VII.  Definitions of terms

1. "Grantor" shall be deemed to be singular or plural, male or female, as the context may require.

2. "Successor in interest" shall be deemed to be singular or plural, male or female, as the context may require; where an act is required to be performed or the instrument is required to be executed, this term shall be deemed to mean all of the successors to all of the interests of all of the grantors.

[Pg 93]

3. The parties hereto express their intent to effectuate the purposes of the Open Space Land Act (Chap. 13, Title 10, Code of Va. 1950 Amended), and to that end consent to such constructions of terms not otherwise defined above as will accomplish such purpose.

IN WITNESS of all of which, the parties hereto have set their hands and seals and acknowledged the execution hereof:

  SEAL____________________(LS)

  ATTEST:_______________________________(LS)

Clive L. DuVal, 2d
s/
Susan B. DuVal    (LS)
______________________
Grantors

  STATE OF VIRGINIA
to-wit:
  COUNTY OF FAIRFAX

 

This 29 day of December, 1970, appeared before me in my State and County aforesaid Clive L. DuVal 2nd and Susan B. DuVal, and ____________, whose names are signed above as grantors, and acknowledged the said signatures as theirs.

 

   Mary Ellen Stears    
Notary Public

My commission expires:  My commission expires August
18, 1974

COUNTY OF FAIRFAX, VIRGINIA


By G. J. Kelley, Jr.   
County Executive

Attest:  Edna Bicksler
Clerk

[Pg 94]

STATE OF VIRGINIA
to-wit:
COUNTY OF FAIRFAX

This 24th day of March, 1971, appeared before me in my County and State aforesaid, George J. Kelley, Jr. and acknowledged his signature affixed above as his, and further, having been first duly sworn, made oath that he is authorized by the Board of Supervisors of Fairfax County, Virginia, to execute this instrument on behalf of said County.

 

 Hazel C. Shear   
Notary Public

My commission expires: Jan. 31, 1972



In the Clerk's Office of the Circuit Court of Fairfax County, Virginia APR 8, 1971 at 12:39 PM This instrument was received and, with the certificate annexed, admitted to record

Teste:

W. Franklin Gooding          Clerk

 

[Pg 95]


LIST OF SOURCES

 

Books

 

American Genealogical Research Institute. History of the Carter Family. Washington, D.C.: 1972.

Arnett, Ethel Stephens. Mrs. James Madison: The Incomparable Dolley. Greensboro, N.C.: PiedmontPress, 1972.

Brant, Irving. James Madison: Commander in Chief, 1812-1836. Indianapolis: Bobbs Merrill, 1961.

Brockett, F. L. The Lodge of Washington. Alexandria, Va.: George E. French, c. 1875.

Clark, Allan C. Life and Letters of Dolly Madison. W. F. Roberts Co., 1914.

Commonwealth of Virginia. Manual of the Senate and House of Delegates. Richmond, Va.: Department of Purchasing and Supply, 1978.

Fairfax County Office of Comprehensive Planning. Fairfax County in Virginia: Selections from Some Rare Sources. Fairfax, Va.: Office of Comprehensive Planning, 1974.

Gamble, Robert S. Sully: The Biography of a House. Chantilly, Va.: The Sully Foundation, Ltd., 1973.

Gillespie, Franklin B. A Brief History of the Lewinsville Presbyterian Church. n.d.

Hall, Florence Howe. The Story of the Battle Hymn of the Republic. Freeport, N.Y.: Books for Libraries Press, reprint 1971.

Hammett, Regina Combs. History of St. Mary's County, Maryland. Ridge, Md.: by the author, 1977.

Harrison, Fairfax. Landmarks of Old Prince William. Berryville, Va.: Reprint, Chesapeake Book Company, 1964.

[Pg 96]

Johns, John H. History of the Rock Presbyterian Church of Cecil County, Md. Oxford, Pa.: Oxford Press, 1872.

Klapthor, Margaret Brown and Brown, Paul Dennis. History of Charles County, Maryland. La Plata: Charles County Tercentennary Committee, 1958.

Langford, Laura Carter Holloway. Ladies of the White House; or in the Home of the Presidents Being a Complete History of the Social and Domestic Lives of the Presidents from Washington to Hayes, 1789-1880. Philadelphia, Pa.: Bradley, 1880.

Lee, Edmund Jennings. Lee of Virginia, 1642-1892. Philadelphia: By the author, 1895.

Lee, Gardner Cazenove, Jr. Lee Chronicle. New York: New York University Press, 1957.

Lloyd, Alan. The Scorching of Washington. Washington, D.C.: R. B. Luce, 1975.

Lord, Walter. Dawn's Early Light. New York: W. W. Norton Co., 1972.

Mackall, Sarah Somervell. Early Days of Washington. Washington, D.C.: By the author, 1899.

Mitchell, Beth. Beginning at a White Oak: Patents and Northern Neck Grants of Fairfax County. Fairfax, Va.: Office of Comprehensive Planning, 1977.

Morrison, A. J. The Beginnings of Public Education in Virginia, 1776-1860. Richmond, Va.: Virginia State Board of Education, 1917.

Netherton, Nan, Sweig, Donald, Artemel, Janice, Hickin, Patricia, and Reed, Patrick. Fairfax County, Virginia: A History. Fairfax, Va.: Fairfax County Board of Supervisors, 1978.

Newman, Harry Wright. The Smoots of Maryland and Virginia. Washington, D.C.: By the author, 1936.

Powell, Mary G. History of Old Alexandria, Va. Richmond, Va.: William Byrd Press, 1928.

[Pg 97]

Rafuse, Diane. Maplewood. Fairfax, Va.: Office of Planning, 1970.

Randolph, Robert Carter. The Carter Tree. Richmond, Va.: By the author, 1951.

Steadman, Melvin. Falls Church by Fence and Fireside. Falls Church, Va.: Falls Church Public Library,1964.

Stetson, Charles W. Washington and His Neighbors. Richmond, Va.: Garrett & Massie, Inc., 1956.

Virginia General Assembly. Register of the General Assembly from 1619-1976. Richmond, Va.: Virginia General Assembly, 1978.

Washington, George. The Writings of George Washington, 1749-1799. John C. Fitzpatrick, ed.  Washington, D.C.: United States Government Printing Office,1941.

Woodward, Evan Morrison. Our Campaign. Philadelphia: J. E. Potter Co., 1865.

Works Projects Administration, Writers' Program. Virginia, a Guide to the Old Dominion. New York: Oxford University Press, 1941.

 


 

Periodicals and Newspapers

 

Alexandria Gazette, December 24, 1799; January 30, 1800; February 10, 1800; November 4, 1801; January 8, 1802; April 30, 1802; February 21, 1803; May 7, 1803; November 11, 18, 1811; August 18, 1812.

Fairfax County Free Press Newspapers, September 29, 1966.

Fairfax County Sun-Echo, January 15, 1965.

Globe, May 14, 1970.

[Pg 98]

Historical Society of Fairfax County, Virginia. Year-book, Fairfax, Va.: Historical Society, 1971.

McLean Providence Journal, April 29, 1960; February 11, 1977.

"The Rambler," Sunday Star, August 2, 1914.

Washington Post, April 23, 1961.

Washington Star, May 20, 1932; March 18, 1965.


 

Public Records

 

Fairfax County, Virginia, Deed Book, J-2; V-2; Z-2; C-3; G-3; J-3; T-3; 635; 1041; 1097; 1322; 3418; 4159

Fairfax County Ordinance of Secession, Lewinsville Precinct, #18, May 23, 1861. Fairfax County Courthouse, and copy, Virginia Room, Fairfax County Central Library.

Fairfax County Personal Property Tax Records, 1805.

Fairfax County, Virginia, Personal Property Tax Books, 1812-1843. Microfilm, Virginia State Library, Archives Division.

Fairfax County Real Property Tax Books, 1790-1813. Virginia State Library, Archives Division.

Fairfax County, Virginia, Real and Personal Property Tax Assessments, 1854-1900. Virginia State Library, Archives Division.

Fairfax County, Virginia, Will Book H; I; J; K; L; N; Q.

Fairfax County Census, 1810, #284.

Virginia Mutual Assurance Society records, Virginia State Library, Richmond, Virginia.

 


 

[Pg 99]

Unpublished Materials

 

Alexandria Academy Minutes, Board of Trustees. April, 1795; March, 1804.

Alexandria Library Company Minutes. 1801, 1802, 1803, 1804.

Artemel, Janice G. A Preliminary Survey of the Literature on James Wren. Unpublished study. Falls Church, Virginia.

Letter from Dr. Benjamin Franklin Cooling, U.S. Army Military History Institute, Carlisle Barracks, Pennsylvania, to Mrs. Ross D. Netherton, Fairfax, Virginia. December 5, 1978. Working papers for Salona, Virginia Room, Fairfax County Central Library.

DuVal family scrapbooks, Volumes I-VII, 1944-1978, Salona.

Interviews with Susan and Clive DuVal by the author.

Interview with Susan and Clive DuVal, January 11, 1979, by Nan Netherton.

James Jarboe Papers. Manuscript Collection, Maryland Historical Society, Baltimore.

Letter to the author from Ruth B. Lee, librarian of the Historical Foundation of the Presbyterian and Reformed Church, Montreat, N.C. March 29, 1977.

Letter from Ann B. Maffitt, dated July 22, 1828, to Col. George W. Hunter. Copy in Salona working papers, Virginia Room, Fairfax County Public Library. Manuscripts Division, Alderman Library, University of Virginia, Charlottesville, Virginia.

Letter from Harriotte Maffitt to George Turberville, July 13, 1819. Copy provided by Henry and Douglass Mackall from original in possession of George Turberville of Manassas.

Interviews with Peter Maffitt by the author.

Ludwell Lee Montague letter to Eleanor Lee Templeman, May 4, 1969.

[Pg 100]

Old Presbyterian Meeting House, Alexandria, Baptismal Records.

Presbyterian Church in the United States of America, Minutes of the General Assembly. 1798; 1808; 1809; 1814; 1824.

Letter from Ann Calvert (Stuart) Robinson to Elizabeth Collins Lee, October 19, 1806. Lee Family Papers, Section II, Richard Bland Lee, Virginia Historical Society.

Interviews with Smoot family members by the author.

Interview with John D. K. Smoot, by Nan Netherton, January 18, 1979.

Letter from the University of Delaware to the author, April 4, 1977. Working papers, Virginia Room, Fairfax County Central Library.

Letter from William C. Woodbridge (director of The Asylum) to the Reverend William Maffitt, September 21, 1820. Copy provided by Henry and Douglass Mackall from original in possession of George Turberville of Manassas.

 


 

*** END OF THE PROJECT GUTENBERG EBOOK 40662 ***