The Project Gutenberg eBook of Down Town Brooklyn

This eBook is for the use of anyone anywhere in the United States and most other parts of the world at no cost and with almost no restrictions whatsoever. You may copy it, give it away or re-use it under the terms of the Project Gutenberg License included with this eBook or online at www.gutenberg.org. If you are not located in the United States, you will have to check the laws of the country where you are located before using this eBook.

Title: Down Town Brooklyn

Author: N.Y.). Committee of Ten Brooklyn (New York


Release date: July 15, 2010 [eBook #33172]

Language: English

Other information and formats: www.gutenberg.org/ebooks/33172

Credits: Produced by Linda Cantoni and the Online Distributed
Proofreading Team at http://www.pgdp.net (This file was
produced from images generously made available by The
Internet Archive/American Libraries.)

*** START OF THE PROJECT GUTENBERG EBOOK DOWN TOWN BROOKLYN ***

DOWN TOWN BROOKLYN

A Report to the Comptroller of the City of
New York on Sites for Public Buildings
and the Relocation of the Elevated
Railroad Tracks now in Lower
Fulton Street, Borough
of Brooklyn

BOROUGH OF BROOKLYN

BROOKLYN, NEW YORK
MCMXIII


CONTENTS

LETTER FROM THE COMPTROLLER
REPORT OF THE COMMITTEE
First Plan
Second Plan
Third Plan
Fourth Plan
Fifth Plan
Sixth Plan
ADDITIONAL REPORT
SUPPLEMENTAL REPORT


-3-

LETTER FROM THE COMPTROLLER

April 18th, 1913.

Dear Mr. Pratt:

It appears to me that the time has now arrived when some definite policy should be formulated regarding a number of needed improvements in the Borough of Brooklyn, with particular reference to a settlement of the court house, bridge terminal and other questions. We have had considerable discussion regarding these matters, and while this discussion has developed, as it naturally would, many divergent views, I am confident that it has also served a most useful purpose because now we all have a much better idea of the work that has to be undertaken and the importance of intelligent and united action governing it.

It is very necessary that some one should take the lead and I, therefore, suggest that you endeavor at the earliest possible time to effect a meeting of those interested as citizens and officials in developing the best plan for Brooklyn's improvement, with a view to having a definite policy proposed and so determined at this time that the only thing necessary in the future will be the authorization of the funds to carry the plan into effect.

There should be a civic center in Brooklyn. We have a nucleus of such a center in the present Borough Hall. We need a new terminal for the Brooklyn entrance of the Brooklyn Bridge, a better approach to that bridge by the present elevated railroad lines, the removal of the elevated railroad tracks from lower Fulton Street, a new court house, -4-a new municipal building and a thorough improvement of that section running from the intersection of Myrtle Avenue and Washington Street to the terminal of the Brooklyn Bridge, using this improved section for the purpose of carrying out a general beautification of the proposed civic center.

All of these things cannot be done at once, but they are all a part of what should be a general plan. I believe that if the subject be approached in a spirit of civic patriotism a general plan can be developed which will mean the ultimate procurement of all these much-needed improvements, and in such a way as to be of the greatest benefit to Brooklyn as a borough.

Yours truly,

William A. Prendergast,
Comptroller

Mr. Frederic B. Pratt
Brooklyn, New York


Upon receiving the foregoing letter, Mr. Pratt conferred with a large number of officials and citizens interested in the progress of Brooklyn, and acting upon their advice formed a committee of ten, believed by him to be representative of the various points of view, for the purpose of making a systematic study of the problems set forth and to formulate a report with definite recommendations. The report and recommendations of the committee appear in the following pages.


-5-

REPORT OF THE COMMITTEE

OF TEN CITIZENS OF BROOKLYN APPOINTED AT THE SUGGESTION
OF WILLIAM A. PRENDERGAST, COMPTROLLER
OF THE CITY OF NEW YORK

Since the appointment of this committee on the 30th day of April, 1913, it has had frequent meetings, conferences and hearings. Conferences have been had with representatives from organizations that have given time and study to the subjects within the scope of this committee. Several public hearings were held, notice of which was given in the public press. Written communications have been invited from all persons interested. Architects have been employed to advise and we have had the help of competent engineers.

At the outset the committee has been compelled to recognize the situation of Brooklyn and its relation to Manhattan and Greater New York. Brooklyn has always labored under the disadvantage that, although its residents have helped create the great assessed valuations in lower Manhattan, it did not before consolidation receive any benefit from the taxation of those values. In this respect Brooklyn was not and even now is not like independent cities such as Buffalo, Cleveland or Chicago, where both residences and office buildings contribute alike to support the same municipal government. Prior to consolidation on January 1st, 1898, Brooklyn had reached the limit of her constitutional borrowing capacity. The city needed many new schools and more bridges and tunnels across the East River. Along with many disadvantages that-6- flowed from consolidation, there came the great advantage that Brooklyn at last received a portion of the tax money raised on the real estate in lower Manhattan, to which Brooklyn people had helped to give a high value. It must, however, be recognized that Manhattan is the central borough, and that as the business and municipal center of Greater New York she is entitled to pre-eminence in buildings to transact the city's business. Now that the boroughs constitute one city, Manhattan must help to give the outlying boroughs those utilities that their growth reasonably requires, and the outlying boroughs must recognize Manhattan as the business and official center.

For the last twenty years the industrial population in Brooklyn has been greatly increasing. Officials and loyal citizens who desire that the historic character of Brooklyn should be preserved cannot afford to wait ten years before a beginning is made to brighten up the downtown district. Continued migrations of home owners from Brooklyn to New Jersey and to counties outside of Greater New York may weaken the ability of the borough to preserve its entity and character. If it should once become a somewhat neglected industrial annex of Manhattan, the result would be injurious both to Brooklyn and Manhattan. No greater calamity could happen to every part of Brooklyn than to have the borough lose its civic pride.

When we add to the foregoing considerations the fact that Greater New York has nearly reached the constitutional limit of its borrowing capacity, we should not delude ourselves into thinking that persistent and long-continued demand will bring indefinite millions of dollars to Brooklyn in the near future. The vast contemplated expenditure for rapid transit-7- railroads brings a share to Brooklyn, but even to validate the dual rapid transit contracts it was necessary to dedicate to subways $50,000,000 out of the $65,000,000 of self-supporting dock bonds exempted under the recent constitutional amendment, while we in Brooklyn know that more than $15,000,000 are needed for dock improvements in Brooklyn alone during the next ten years. In order to obtain a sufficient margin within the debt limit, assessed valuations have been placed at full value, and in some cases beyond prices that property will bring in the open market. Until the comprehensive rapid transit plan is completed in the course of four to six years, it cannot be expected that there will be a substantial increase in assessed valuations, taking the city as a whole.

With all of these considerations before us we have concluded that the strictest economy must be observed in improving the downtown district of Brooklyn, and that every dollar expended should be not only of the greatest use for the special purpose to which it is put, but also that every dollar expended should give co-ordinated results. Therefore we consider that such lands as are taken for public buildings should also contribute toward the opening up and improvement of the central business locality.

Outside of money for rapid transit lines, docks, schoolhouses and street improvements, it is not likely that the Borough of Brooklyn will within the next eight years receive any substantial sums except for the new municipal building and a new court house. If these buildings are placed in isolated locations where they have no relation to one another nor to the borough center, it will be most unfortunate. Like the Academy of Music, which is surrounded by narrow streets, they-8- would confer only a partial benefit. Therefore the question of their location is more than finding a good spot for a court house or municipal building. The problem is to find locations that will be convenient for the public business, have a relation to each other and other public improvements, and contribute to the acquirement of more open space where it will do the most good.

We think that the Borough Hall locality should be preserved and improved as the borough's municipal center. Some say that we should look to Eastern Parkway, some to Flatbush Avenue Extension. But Borough Hall Park is the old-time and long settled center. The large office and financial buildings are there. It is convenient of access from every part of the borough. Every new rapid transit line will be directly connected with it. It is opposite the district of corresponding use in Manhattan. It is separate from the congested shopping district and will undoubtedly remain so. Some advocate Flatbush Avenue Extension as the best place for new buildings. The future value of the Extension even for public buildings cannot be denied. Canal Street, Manhattan Bridge, the Extension and Flatbush Avenue furnish a continuous broad thoroughfare from the North River to Jamaica Bay. When Greater New York becomes a city of 10,000,000 people, it may become the axis for magnificent public buildings both in Manhattan and Brooklyn. But Canal Street today is a locality of small business and it is premature to try to force its Brooklyn continuation into prominence as a civic center. Although Manhattan's new court house will be built on Center Street, yet the front door of Manhattan's civic center will be the City Hall Park for the-9- next thirty or forty years, and Canal Street at its best will be only the back door. When the big business of Manhattan reaches Canal Street it will be time enough to use city money for great public buildings on the Extension. If Brooklyn were an independent and self-contained city like Boston and Chicago it might experiment without fear in building up a new civic center, but Brooklyn today must look well to hold her own against the constant draft that Manhattan makes on her financial and office center.

Brooklyn Bridge is today and for a long time will be the main entrance to Brooklyn. The district between the bridge and Borough Hall has become depressed and unsightly, mainly because the retail shopping business left it, and Brooklyn, unlike independent cities, had no wholesale mercantile business to take its place. No city can hope to improve and brighten itself and still neglect its front door. The Clark Street subway will have a station near lower Fulton Street. The federal government has appropriated money to enlarge the Post Office. The bridge terminal has ceased to be a terminal and has become a way station, so that now the structures that deface the entrance to Brooklyn can be taken down, as Bridge Commissioner O'Keeffe proposes, and a solid, simple, low-lying structure substituted for the sheds and aerial monstrosities. Surely now is the time to link such an improvement with the clearing up of the whole district.

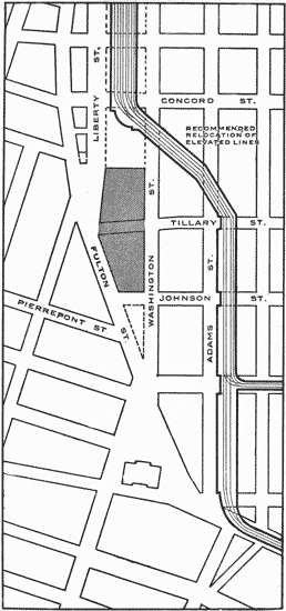
The borough must within a few months either grasp or lose its chance to start this work. As part of the dual rapid transit system the city has issued to the Municipal Railway Company, controlled by the Brooklyn Rapid Transit Company, a certificate to third track its Fulton Street elevated line from the East-10- River to East New York. The complications in perfecting the dual contracts, and the need of haste, were so great that the problem of freeing Borough Hall Park and lower Fulton Street of the elevated railroad was not solved and inserted in the contracts, but immediately after the signing of the dual plan, Mayor Gaynor, Borough President Steers, the Public Service Commission and the Board of Estimate took action resulting in the preparation and passage by the Legislature of an amendment to the Rapid Transit Act providing for the re-location of the tracks and the making of a contract for that purpose between the Public Service Commission and the company. Thus the way is paved for the removal of the elevated tracks to Adams Street, taking them entirely out of lower Fulton Street and Borough Hall Park. Orders for the fabrication of steel for the third track construction will soon be placed, and if the contract for re-location is not made, the steel will be ordered for reconstructing the elevated railroad in its present location. It would be unfortunate indeed if additional outlays should serve to perpetuate the railroad in Borough Hall Park. At the same time that the tracks are removed, it is desirable that the city should do as much as possible in opening and improving the unsightly locality between Fulton and Washington Streets. As an independent proposition the taking of so much land has not appealed to some of the members of the Board of Estimate, but an entirely different question is presented if this area can be used in part for one of the new public buildings. Plan 6 shows the locality as it would appear after the tracks are re-located and the plaza opened. Washington Street should be widened to correspond to the width of the open space now opposite the Mechan-11-ics' Bank Building. Some say, why not widen Washington Street taking forty or fifty feet of private land along its westerly side and do nothing to disarrange the rest of the property between Washington Street and Fulton Street? The answer to this is that the taking of parts of the buildings would in many cases be almost, if not quite, equivalent to a total destruction of the entire properties. If the city should acquire for public purposes the three blocks lying between Fulton Street and Liberty Street on the west and Washington Street on the east, it could widen Washington Street to the required width of 110 feet, use the space opposite the Post Office for one of the new buildings, and design the open space near the bridge as a dignified and fitting approach to Brooklyn Bridge, corresponding to some extent to the open space partly covered by the Manhattan municipal building at the other end. This should be done in connection with Commissioner O'Keeffe's plan of reconstructing the bridge terminal. The new public building located here would not act as a stopper in the bridge plaza, because the space now between the Mechanics' Bank Building and Myrtle Avenue is of a fixed width and acts as a fixed limitation. If Washington Street is widened to the same width, the approach to the bridge plaza proper would be better than if the bridge plaza should extend all of the distance to Borough Hall Park. In the latter case the plaza would be too large and not pleasing in form. A considerable part of this real estate is already owned by the city.

By chapter 390 of the laws of 1909 the Supreme Court justices of this department were empowered to select a site for a new court house and recommend it to the Board of Estimate. In 1910 they selected the two-12- blocks bounded by Court, Clinton, State and Livingston Streets, and on December 20th, 1911, the report was made by the Board of Sinking Fund Commissioners to the Board of Estimate. The Board of Estimate has taken no action thereon.

In July, 1911, the Board of Estimate determined upon the southeast corner of Court and Joralemon streets as a site for the new municipal building, taking in both the corner and the land covered by the present municipal building. The land has been acquired, plans for the building have been prepared, and when the Board of Estimate makes an appropriation for building, actual construction can begin. If, however, the recommendations of this report should meet with favor, the municipal building would be erected in another place.

The committee has endeavored to deal with these four factors, viz., court house, municipal building, bridge plaza and re-location of tracks, so that the money expended should not only bring the best result for each factor, but at the same time bring the additional benefit of relating the four factors so that all will unite to improve the downtown center. We shall now compare the cost and advantages of the four factors as presented in the Clinton Street court house site, and as presented in the other plans that reasonably meet the needs of the situation.-13-

FIRST PLAN

Clinton Street Court House Site

(See diagram marked Plan 1)

1. Cost of bridge changes and re-location of tracks as estimated by the Department of Bridges, and assessed value of additional property required for same$4,012,095.00
2. Assessed valuation of land and buildings between Washington and Fulton streets1,249,100.00
3. Assessed valuation land and buildings, Clinton Street site for court house1,527,700.00
4. Municipal Building site at south-west corner of Court and Joralemon streets (title now vested in the city) 
Total$6,788,895.00

This plan places the new court house on the site selected by the judges, and the new municipal building on the site that has been condemned for this purpose at the corner of Court and Joralemon streets to which will be added the land covered by the old municipal building. For the purpose of these comparisons no values are placed on land and buildings now owned by the city.

The item of $4,012,095 for Brooklyn Bridge changes and re-location of tracks is the same in each of the six plans, and includes the assessed values of the entire half blocks east of Adams Street. The re-location of the tracks on Adams Street will require a six track structure between the bridge and Myrtle Avenue and a three track structure between Myrtle Avenue and Fulton Street. Adams Street is not wide enough for so many tracks. The preponderating engineering opinion is that the city should not widen Adams Street,-14- but remove the structure to the half block east of Adams Street. The space fronting Adams Street under the solid track floor would be available for renting. The cost of taking the half block by condemnation would not materially exceed the cost of taking forty feet along the block fronts. The question of damages to abutting owners would be avoided, and Adams Street would be made better for traffic and business than it is now. Part of this large item would be paid by the railroad company. Under the terms of the third tracking certificate already issued the company is to pay all of the cost of reconstruction and betterment of the structure in its present locations, and it is understood that the company will pay at least an equal amount when the tracks are re-located under the new law. If the re-location brings other benefits to the company it would seem that even a greater portion of this item should be borne by the company. The new law provides that the division of expense shall be arranged between the Public Service Commission and the company, subject to the approval of the Board of Estimate.

The new court house according to this plan would be 600 feet from the Hall of Records. Although the books and files kept in the Surrogate's and Register's offices are not needed so frequently in trials as the papers from the county clerk's office, it is a distinct disadvantage to have them so far away from the court house.

The new court house, on this site, would be unrelated to any other improvement. It would also be entirely surrounded by private property, admitting of no architectural development and bearing no relation to the court house itself. The land is entirely covered-15- with buildings valuable for their present use and is a recognized center for physicians. If the court rooms are made to face toward the streets they will increasingly be subjected to street noises, for we find that no streets in this locality are quiet. Automobiles and auto-trucks abound. If this site were acquired for the new court house the Board of Estimate would probably refuse either to open the bridge plaza or widen Washington Street. The result would be that practically no general improvement to the financial center would be made. The Joralemon Street front of Borough Hall Park, probably the most dominating site in the borough, would contain three buildings, the Hall of Records, the old court house and the new municipal building, none of them harmonizing with the others, and bringing little or no distinction to the most prominent site in the borough. The old court house would be relegated to criminal business to the detriment of this vicinity.

It would seem that the city's plan for future buildings should make some use of the Polytechnic Institute land. It is only a question of time when this school will move elsewhere. This plan throws away the opportunity of making profitable use of this land.

The main objection to this plan, however, is that, although expensive, it brings practically no help to downtown Brooklyn. It dissociates the desired factors and does not relate them. It simply procures an isolated court house, leaving the business center of the borough as badly off as before.-16-

SECOND PLAN

Flatbush Avenue Extension Site for Court House

(See diagram marked Plan 2)

1. Cost of bridge changes and re-location of tracks as estimated by the Department of Bridges, and assessed value of additional property required for same$4,012,095.00
2. Assessed valuation of land and buildings between Washington and Fulton streets1,249,100.00
3. Assessed valuation of land and buildings Flatbush Avenue Extension site for court house564,650.00
4. Municipal Building site at south-west corner of Court and Joralemon streets (title now vested in the city) 
Total$5,825,845.00

In this plan the court house would be 1,730 feet from the Hall of Records. The transaction of court business on the border of the retail shopping district would increase street congestion. It is distant from the present office district, and, if selected, injury to the present office district would result. It is inconvenient to residents of certain parts of the city. If court rooms fronted on the street they would yearly become more subject to noise. The available space would not afford as large an interior court as would be desirable if the court rooms were to face inside. If this site were acquired, the bridge plaza would probably remain unopened. Like Plan 1, this plan scatters the benefit of the four factors under discussion, and does not unite them.-17-

THIRD PLAN

State Street Site for Court House

(See diagram marked Plan 3)

1. Cost of bridge changes and re-location of tracks as estimated by the Department of Bridges, and assessed value of additional property required for same$4,012,095.00
2. Assessed valuation of land and buildings between Washington and Fulton streets1,249,100.00
3. Assessed valuation of land and buildings in the two blocks bounded by Boerum Place, Livingston, Court and State streets1,507,900.00
4. Municipal Building site at south-west corner of Court and Joralemon streets (title now vested in the city) 
Total$6,769,095.00

Like the Clinton Street site, this site would be so expensive that its purchase would probably preclude the opening of the bridge plaza. If the present court house should be retained, the new court house would be hidden and without any effective relation to Borough Hall Park. If it had outside court rooms they would be noisy. Schermerhorn Street would either need to be closed or else carried through the building by tunnel. In the former case one of the streets most needed for traffic would be lost, and in the latter case the street would need to be artificially lighted both night and day and even then would be troublesome to maintain. This plan is open to all of the objections of Plan 1. Indeed it is even less desirable as it interferes more with traffic.-18-

FOURTH PLAN

Livingston Street Court House Site

(See diagram marked Plan 4)

1. Cost of bridge changes and re-location of tracks as estimated by the Department of Bridges, and assessed value of additional property required for same$4,012,095.00
2. Assessed valuation of land and buildings between Washington and Fulton streets1,249,100.00
3. Assessed valuation of land and buildings in block bounded by Boerum Place, Livingston, Court and Schermerhorn streets881,900.00
4. Polytechnic Institute and buildings fronting on Court Street not taken by the city for new Municipal Building site733,700.00
Total$6,876,795.00

This plan has been pressed by very competent persons and we have given a large amount of detailed study to its merits. It contemplates that the old court house and municipal building should be torn down, and that the new court house should be set far back from Joralemon Street, the open space in front of it being flanked by the Hall of Records on one side, and a building of corresponding design on the other, to be used for children's and women's courts. The court house would be built on both sides of Livingston Street, which would be double-decked so that the noise of surface cars and vehicular traffic could not reach the court rooms. This noise is now considerable on account of the slight grade from the Court Street to the Boerum Place level which requires the application of brakes on the down grade. On account of the widening of Livingston Street this block is only 160 feet deep. Any-19- form of treatment would seem to be unduly expensive and even then the court house would not be quiet, as the court rooms would be subjected to the noise from the crossovers at the corners of Livingston Street with Court Street and Boerum Place. The municipal building would need to be placed on the plaza site or elsewhere. One of the main objections to this plan is that the arrangement of all the buildings must be on an axis that does not correspond with Borough Hall, the park, or Washington Street, and on this account the open place between the flanking buildings as well as the buildings themselves would stand awry.

FIFTH PLAN

Washington Street Site for Court House

(See diagram marked Plan 5)

1. Cost of bridge changes and re-location of tracks as estimated by the Department of Bridges, and assessed value of additional property required for same$4,012,095.00
2. Assessed valuation of land and buildings between Washington and Fulton streets1,249,100.00
3. Site for new court house takes part of last item. 
4. Municipal Building site at south-west corner of Court and Joralemon streets (title now vested in the city) 
Total$5,261,195.00

This plan contemplates placing the new court house on Washington Street opposite the Post Office, and the new municipal building at the corner of Court and Joralemon on the site condemned for that purpose. It separates the court house from the Hall of Records. The chief objection, however, is that the available-20- space is not sufficient. A court house of the size desired would be compelled to assume an awkward shape, and it would be so narrow that an inner court to light court rooms facing on it would be out of the question. Throughout our work we have kept in mind the desire of the judges for quiet rooms for the conduct of trials. Washington and Fulton streets are noisy on account of surface cars and vehicles and it would in our opinion be undesirable to have court rooms front on these streets. The court house is to be a much larger and more imposing building than the new municipal building, and it should not be placed on a contracted site.

SIXTH PLAN

Present Site for Court House

(See diagram marked Plan 6)

1. Cost of bridge changes and re-location of tracks as estimated by the Department of Bridges, and assessed value of additional property required for same$4,012,095.00
2. Assessed valuation of land and buildings between Washington and Fulton streets1,249,100.00
3. Site for Municipal Building takes part of last item. 
4. Site for court house takes Polytechnic land and buildings, etc., in addition to land now owned by the city733,700.00
Total$5,994,895.00

This plan contemplates that the court house would occupy all of the present court house block except the Hall of Records; that it should have a large inner court with court rooms opening upon it; and that the municipal building should be placed on the plaza site.-21-

The available area for the court house would be 147,700 feet. The inner court could be 150 feet by 200 feet with a superficial area of 30,000 feet. The building, if six stories high, could easily have four floors devoted to court rooms. Each floor would afford space for nine court rooms, each forty feet by fifty feet, and one large court room for extraordinary trials, 50 feet by 65 feet. This would make forty court rooms in all and there would be ample space for a jury room and robing room in connection with each court room.

The street noises would be an objection to this site if the court rooms fronted the street. We are advised, however, that the fronting of the court rooms on the inner court would protect them entirely from street noise. Ventilation in so large a building as this would necessarily be furnished by a power system, and would be independent of the movement of outside air. Indeed, it seems to be conceded that a power system succeeds only when windows are not opened and shut at will. Moreover, trials are not held during the hot months of July, August and September. On account of these considerations we are of the opinion that inside court rooms can be fully as comfortable and as well ventilated as if they fronted on the streets. The inner court would be so large that there would be an abundance of sunlight. This would not be the case with the lower stories if the building were fifteen or twenty stories high, but our investigations have shown that with a building not over six stories in height, the sunlight will be abundant.

Careful consideration has been given to the subject of noise during construction. The first portion of the new court house built would be that fronting on-22- Borough Hall Park between the present court house and Court Street. This would be followed in due course by the construction of the Livingston Street front after the Polytechnic Institute would be able to locate in a new place. Later the remaining portion of the new court house would be built where the old court house now stands. It cannot be denied that there would be some inconvenience to court work from construction noise while these successive portions were building, but if the new municipal building is erected within the next few months on the site selected for it adjoining the old court house, there will be the same degree of construction noise. Moreover, wherever the new court house is built, it is almost certain that it will be followed by some new construction in the immediate locality. The main thing is to obtain freedom from noise after construction is over, and we believe that the work of the courts could be conducted in inside court rooms on this site with more quiet than in outside rooms on any of the other sites that have been suggested. We find that the first wing of the new building could be built as a unit providing sixteen to twenty court rooms with all requisite minor rooms and facilities. These would be more court rooms than are now in use. This would afford the needed expansion in connection with the use of the old court house, which has fourteen court rooms. The later completion of the Livingston Street wing would furnish a total of thirty-two court rooms in the new building. This would permit the abandonment of the old court house so that the last wing could be built where the old court house now stands. If the money for the construction of the new court house is appropriated from time to time, as will probably be the case, it-23- will be no disadvantage to have the different parts successively available for construction. Forty new court rooms will not be needed for some years, and there will be a saving of interest to the city if the entire expenditure is not made at one time. The county court now has four court rooms, the supreme court ten, the appellate division one, and the appellate term one—in all sixteen. The act empowering the judges to select a site and approve a court house does not contemplate that the county court will be provided for in the new building. If, however, a forty court room building should be erected, it is evident that the county court should be housed in it or else many of the court rooms would be idle for a long time.

The new court house in Manhattan will provide fifty to sixty court rooms. A new Brooklyn court house containing forty court rooms would provide as much space as is likely to be needed during the next forty years, and the city would hardly care to lose interest on unnecessary space for a longer period. When, however, the civil business transacted in the new court house should need all of the court rooms, the city would probably feel the need of a separate criminal court building in some other part of the borough. It is unlikely that the county court will continue both its civil and criminal terms indefinitely. The tendency in all large cities is to separate civil and criminal trials both as to judges and location.

The new court house in this location would be near the Hall of Records, a comparatively new, sound and dignified building. Both judges and trial lawyers are accommodated by having the real estate, surrogate's and county clerk's records and books near at hand. Part of the large space under the new court house-24- could be used for moisture proof vaults for the storage of obsolete papers that are already crowding the county clerk's office.

The great advantages of this site to the borough are apparent. It holds the court business of the borough in the locality which has for generations become adapted to it. It preserves and improves the present office center. It is the most convenient spot in the city for judges, litigants, lawyers and jurors, and is also the most accessible from the court, municipal and financial centers of Manhattan. The new rapid transit lines will make it more accessible from every part of Greater New York.

The present location of the Polytechnic Institute is not well adapted for educational purposes. Its future growth is circumscribed and probably it is only a question of a few years when another location must be found for this growing institution.

The site for the municipal building on Washington Street, opposite the Post Office, would have an area of approximately 52,000 square feet—being an irregular plot 380 feet by 150 feet. It would be a moderately high office structure and would fit an irregular plot of ground better than the more monumental court house. It would also be adjustable to the site bounded by office buildings with the height of which it would harmonize. The distance of the new municipal building from Borough Hall would be 800 feet. In Manhattan the distance between City Hall and the new municipal building is 640 feet. A station of the new Interborough subway will be near the corner of Fulton and Clark streets. This will be the great Manhattan west side subway, running south from Times Square through Seventh Avenue, Park Place and William Street,-25- thence under the East River at Old Slip, thence through Clark and Fulton streets to the junction with the two tracks under Borough Hall, not now used, but which when used will make Brooklyn's four track subway to Flatbush Avenue, Long Island station, Park Plaza and Eastern Parkway.

Not only will the placing of the municipal building on the Washington Street site allow the much needed widening of that street without extra cost, but the erection of the court house on the present site as provided in this plan will admit of the widening of the streets by which it is bounded, viz., Livingston, Court and Joralemon streets. This consideration is important in view of the concentration of street cars and other traffic at this center of street circulation.

No other plan presents equally good sites for the new court house and the new municipal building. This plan has the further merit that it harmonizes the four factors, i.e., court house, municipal building, bridge plaza and re-location of tracks, in a manner where each factor brings additional benefit to every other factor. The removal of the elevated tracks without opening up the bridge approach would be only a partial improvement. Placing the court house on the Clinton Street site or Flatbush Avenue Extension site would have no relation whatever to the other three factors. This plan logically, harmoniously, and at comparatively small expense paves the way for the improvement of the entire area between Brooklyn Bridge and the Hall of Records and furnishes frontages that will attract the construction of substantial and handsome business buildings.

For these reasons we recommend:-26-

1. The removal of the elevated railroad tracks from Borough Hall Park and lower Fulton Street, pursuant to the permissive legislation passed by the last session of the legislature as an amendment to the Rapid Transit Act.

2. The acquirement by the city of the land not now owned by the city between Fulton Street and Liberty Street on the west and Washington Street on the east, also three lots in the small block opposite Clark Street.

3. The widening of Washington Street to 110 feet, which is the same width as the throat between the Mechanics' Bank Building and Myrtle Avenue.

4. The location of the new municipal building between Fulton and Washington streets approximately opposite the Post Office.

5. The location of the new court house on the present site of the old court house, such site to include the land intended for the new municipal building, and also the rest of the land in that block on Court and Livingston streets, all court rooms to front on a large interior court.

Frederic B. Pratt
Edward M. Bassett
Frank M. Brooks
Alexander McKinny
Frank C. Munson
James H. Post
Charles A. Schieren
Alfred T. White
Howard O. Wood
Edward C. Blum

Dated, June 21st, 1913


-27-

ADDITIONAL REPORT

BY A MINORITY OF THE COMMITTEE

We, the undersigned, while agreeing with Recommendation No. 2 of the foregoing report, believe that all of the three blocks between Fulton Street on the west and Liberty Street on the east, should be acquired by the City and not only the three lots opposite Clark Street. Our reasons for this belief stated briefly are, that the buildings erected upon these blocks are of poor construction and unsightly and their condition will not be improved by the bridge approach, nor will a better class of buildings be erected in their stead. They stand as a menace to the improvement of Fulton Street north of Clark and if not removed will carry upon their rear walls billboards and signs which will mar the effect of the new bridge approach. If they are not removed the traveler, approaching Brooklyn by means of the Bridge cars, will have but a momentary glimpse of the improved plaza and the new municipal building as the train swings around into Adams Street. If, on the contrary, the buildings are removed the effect of the improvement will be noticed as soon as Sands Street is reached. This will be the more noticeable to travelers by the trolley and to pedestrians using the bridge.

The assessed valuation of these blocks is $442,850. If they are acquired by the City it is our belief that the increase in the assessed value of property upon Fulton Street immediately opposite to the blocks in question will more than equal the assessed valuation of the property taken.

Howard O. Wood
Frank C. Munson
James H. Post


-28-

Plan 1

Plan 1

-29-

Plan 2

Plan 2

-30-

Plan 3

Plan 3

-31-

Plan 4

Plan 4

-32-

Plan 5

Plan 5

-33-

Plan 6

Plan 6


-34-

SUPPLEMENTAL REPORT

SUBMITTED TO THE COMPTROLLER WITH THE
PERSPECTIVE DRAWINGS

It was recognized from the beginning of the study of this problem that any recommendations must of necessity take into consideration existing conditions and must co-ordinate with any general plans for the development of the borough as a whole. A thorough study has been given this question and it may be stated with reasonable assurance that the proposed location and general arrangement of the court house and municipal building not only do not in any way conflict with future changes but contribute very largely to the accomplishment of further improvements.

An exhaustive argument has been made already on the location of these buildings. In addition to the reasons already given for the suggested locations, it may be stated that the plaza site is not well suited as a location for the court house. On such a location the interior light courts would be too small to successfully serve the court rooms, and the block too irregular. Furthermore, since the character of the municipal building is that of a high office structure, a less regular plot of ground is required as a site than is the case with the more monumental court house. This building is more adjustable to a site bounded by office buildings with the height of which it will harmonize.

The court house is the focal point of a system of arteries leading to various centers—Washington Street to the Brooklyn Bridge, Court Street to the docks, Fulton Street to the retail business center at its inter-35-section with Flatbush Avenue, and finally, Willoughby Street to Fort Greene Park.

proposed sites

[Enlarge]

Proposed new location of elevated railroad tracks
and sites for Court House and Municipal Building

Willoughby Street, along its distance from the Borough Hall Square to Fort Greene Park, should at some time be used as a relief to Myrtle Avenue and for that distance should be the important and improved street. Furthermore, it will become, if developed, a strong factor in relieving that portion of Fulton Street below Flatbush Avenue of the traffic from the eastern section of the Borough, which has for its objective point Borough Hall Square. This artery, leading directly to Fort Greene Park, centers on the Martyrs' Monument. Since this monument has been carefully placed on the axis of Willoughby Street, it is not only desirable but economical to bring it into value. Willoughby Street crosses Flatbush Avenue at its highest point and from this intersection the façade of the proposed court house will come finely into view. There will be, therefore, strong reasons for developing Willoughby Street.

The location of the municipal building on the plaza site will allow of the widening of Washington Street. It will further the improvement of the approach to the Brooklyn Bridge.

The erection of the court house on the present site near Borough Hall will admit of the widening of the streets by which it is bounded, namely, Livingston Street, Court Street and Joralemon Street.

Improvements such as these are very important in view of the concentration of street cars and other traffic at this center. Further relief might be had by placing additional street car loops at the Bridge plaza where part of the cars that now crowd Borough Hall-36- Square might be carried around the north end of the proposed Municipal Building.

The buildings located as proposed do not make a formal group in the strict sense of the word. They may be made, however, to count together. One's attention, immediately on crossing the Brooklyn Bridge, whether by the cars, by vehicle or on foot, will be controlled by the façade of the municipal building with its foreground of public space and on passing beyond this building into Washington Street, one's attention will be carried with interest to the façade of the court house which will frame the Borough Hall silhouette and dominate Borough Hall Square.

Owing to the location of the Borough Hall on the Washington Street axis, it is recommended that no central motif be used in the court house design. The façade of the court house must be designed as a foil to the broken silhouette of the Borough Hall and its cupola. Should the Borough Hall be ultimately removed, the axis may be controlled by a central feature of monumental or commemorative character. The converging lines of the lower cornice of the buildings, of the curbs and of the lamp posts, carry the eye forward to this motif and to the façade of the court house.

Co-operation between the architect selected for the municipal building and the United States Supervising Architect should be urged, so that this building and the Post Office will be harmonious in architectural character.

Various monuments and architectural details are suggested on the plans. They must all be in harmony and in scale with one another and with the buildings. Their setting must be carefully studied in detail. The placing and proportioning of balustrades, of pools of-37- water, of grass plots and in particular of trees must be done in the finest way, as it is only by a careful attention to all these details that this group can be brought into harmony of high order in keeping with its importance.

View from Borough Hall

View from Borough Hall toward Brooklyn Bridge
showing proposed Municipal Building

The spaces surrounding the public buildings, where not needed for circulation, should be parked and trees should be planted wherever they will serve to enhance the buildings, screen undesirable objects, at the same time not interfering with business interests. The same variety of tree should be planted throughout and should not exceed 25 to 30 feet in height.

Of almost equal importance is the question of lamp posts—their height, design, spacing and fixtures. It is suggested that this be exhaustively studied in the light of modern invention so as to make of the streets and open spaces involved, a model for other parts of the city.

The paving of these streets and open spaces also should be perfect. Creosoted wood block is recommended for its all round qualities.

The above recommendations, if carried into effect, will contribute to making this entrance to Brooklyn harmonious and impressive. The studies submitted in plan and perspective should be understood to be only general suggestions along the lines indicated.

Consideration in Detail of the Requirements of
the Various Buildings

Court House:

The courts and allied departments, at present situated in the old court house building, in the Borough-38- Hall, in the Hall of Records and in rented quarters, which would be housed in this building, are:

Space occupied at the present time by the various departments is as follows:

 Square Feet.
County Clerk20,000
District Attorney8,000
Sheriff2,200
Commissioner of Jurors1,600
That space included in the Old Court House, Appellate Division, in the Borough Hall, Appellate Term in rented quarters including justices' chambers, about120,000

The bill for the selection of the court house site does not provide quarters in this building for the County Courts, but it is likely that for several years all County Court business would be handled in the new court house.

View from Brooklyn Bridge

View from Brooklyn Bridge toward Borough Hall
showing proposed new Court House in the distance

A safe assumption for a new building providing ample light courts and set back fifty feet from both Court-39- Street and Joralemon Street is ten court rooms per floor. A building having four court floors and two additional floors would have an area of approximately 450,000 square feet. Each court room unit, moreover, would be amply supplied with judges' robing room, clerks' room, and necessary witness, counsel and jurors' rooms. This building would be about 110 feet high to the main cornice. In addition, space would be provided for an emergency hospital, for newspaper reporters, and for a general public waiting room.

The new court house would provide seventy to eighty thousand square feet on the first floor, sixty-five to seventy thousand square feet approximately on the court room floors, and fifty thousand to sixty thousand square feet on the upper floor which should be planned as justices' chambers.

Hall of Records:

Space vacated by the county clerk, at present housed in the Hall of Records, would provide twenty-five per cent. additional room for the Surrogate's Court and the Registrar. Should a new structure of the same height as the court house be erected at some future date, and set back from Court Square and Fulton Street, the space available for those departments would be nearly doubled.

Municipal Building:

A building on the plaza site about eight stories high, would have a floor area equivalent to the building now planned to be placed on the Joralemon Street site. It would adequately house all of the administrative departments and bureaus. The chief officials would-40- doubtless remain in Borough Hall. Borough Hall could be used entirely for administrative business as the Appellate Division would move to the new court house.

Frederic B. Pratt
Edward M. Bassett
Frank M. Brooks
Alexander McKinny
Frank C. Munson
James H. Post
Charles A. Schieren
Alfred T. White
Howard O. Wood
Edward C. Blum

Dated, July 25th, 1913